Filtros
0 · 17 resultados120.000 €
0 Quartos
0 WCs
Área bruta : 4181 m²
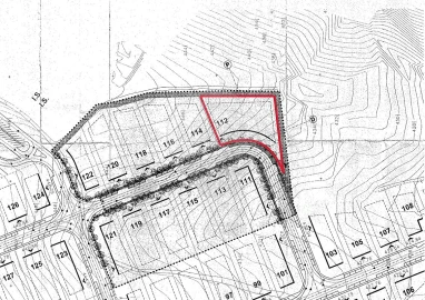
? Terreno Industrial Premium – Parque Industrial do Tortosendo (Covilhã) Invista num lote estrategicamente posicionado no Parque Industrial do Tortosendo, um polo dinâmico e consolidado no concelho da Covilhã, ideal para expansão ou nova unidade industrial. Lote N.º 112 Área do lote - 4181,78 m2 Uso - Industria Número de pisos - 1 - 100% e 2 Max. 20% Cércea máxima - 9 m Área de implantação - 2090,89 m2 Área de construção - 2509,07 m2 Volume de construção - 18818,01 m3 Porquê Investir Aqui? Acessos Imbatíveis: Localização junto à A23, com ligação direta a Lisboa (2h30) e à fronteira com Espanha (1h). Perfeito para logística nacional e ibérica. Ecossistema Próspero: Insira-se num cluster robusto com forte presença nos setores Têxtil, Agroindústria, Mecânica de Precisão e Logística. Infraestrutura Garantida: Parque loteado e estruturado (Gás natural; Rede elétrica de BT e MT; Rede de água para consumo industrial; Saneamento básico; Iluminação pública; Cobertura de Fibra Ótica; Ruas interiores totalmente pavimentadas), assegurando uma instalação rápida e eficiente. Apoio Municipal: A Câmara Municipal da Covilhã terá total interesse em facilitar a viabilidade e o licenciamento de novos negócios industriais, promovendo o crescimento do ecossistema empresarial do seu município. O seu negócio merece a melhor base. Este não é apenas um terreno, é o *hub* estratégico onde a sua empresa irá prosperar. Contacte-me hoje para mais detalhes. ;ID RE/MAX: 121291534-26
AMI: 7772
Ref. Externa: 121291534-26
Id: 1814236
Inicie sessão para guardar este imóvel e aceder à sua lista de favoritos em qualquer dispositivo.
265.000 €
2 WCs
Área útil : 621 m²
Apresentamos um espaçoso armazém de 621 metros quadrados, atualmente utilizado como oficina, localizado numa zona estratégica da Covilhã. Com uma excelente estrutura e amplo espaço, este imóvel oferece versatilidade para diversos tipos de negócios ou para quem busca um excelente investimento. Com um ROI de aproximadamente 3%, esta é uma oportunidade de adquirir um ativo com potencial de valorização e rendimento consistente. Seja para expandir sua operação ou para investir com retorno garantido, este armazém é uma escolha inteligente. Não perca a chance de fazer parte do crescimento da Covilhã! Entre em contato conosco para mais informações e agendar uma visita. Estamos à disposição para ajudar você a transformar essa oportunidade em realidade! Tratamos do seu Crédito Habitação de forma simples, transparente e eficaz. Negociamos as melhores condições para o seu caso. EasyGest Finance, o seu Intermediário de crédito de confiança, certificado pelo Banco de Portugal com o nº 0001802. Ajudamos com todo o processo! Entre em contacto connosco ou deixe-nos os seus dados e entraremos em contacto assim que possível! CB97208MA
AMI: 8989
Ref. Externa: CB97208MA
Id: 1792179
Inicie sessão para guardar este imóvel e aceder à sua lista de favoritos em qualquer dispositivo.
265.500 €
Área bruta : 712 m²
Armazém industrial para venda na Covilhã.Inserido em zona urbana com ótimos acessos e próximo de todos os bens e serviços.Área ampla com pé direito alto, muita luz natural, escritório, 2WC e acesso alcatroado até a entrada do edifício para facilitar a carga e descarga.Várias possibilidades para servir diferentes ramos na atividade industrial.CaracterísticasGeralArrumosLuz Natural: 50%DivisõesNº Divisões: 3EscritóriosNº Escritórios: 2ZonaAcessos: Bons, Transportes Púb.Centralidade: Centro da CidadeProximidade: Bancos, Bombeiros, Centros Comerciais, Escolas, Farmácia, Jardins, Jardins Infância, Padaria, Polícia, Serviços Públicos, Supermercado
AMI: 6863
Ref. Externa: EC-111210138
Id: 1756878
Inicie sessão para guardar este imóvel e aceder à sua lista de favoritos em qualquer dispositivo.
150.000 €
Área bruta : 1177 m²
Edifício totalmente em pedra na Covilhã, atualmente em ruínas, tem um enorme potencial para investimento em habitação ou até mesmo uma residencial universitária.Em tempos foi feito um projeto para a construção de vários apartamentos neste edifício, dada a localização de excelência e a sua proximidade com os polos da Universidade da Beira Interior.Com área de implantação de 777m² e uma área bruta de construção total de 1177m², conta ainda com um logradouro de 1060m².Dentro da Área de Reabilitação Urbana (ARU) e no instrumento Financeiro de Reabilitação e Revitalização Urbana (IFRRU).Fácil acesso a bens e serviços, cultura e lazer, assim como a transportes públicos."Excluído do SCE, ao abrigo da alínea g) do nº 2 do artigo 18º do Decreto-Lei nº 101-D/2020, de 7 de dezembro"CaracterísticasZonaAcessos: Bons, Transportes Púb.Centralidade: Centro da CidadeProximidade: Centros Comerciais, Escolas, Jardins, Padaria, Serviços Públicos, Supermercado
AMI: 6863
Ref. Externa: EC-111230106
Id: 1756860
Inicie sessão para guardar este imóvel e aceder à sua lista de favoritos em qualquer dispositivo.
Área bruta : 67 m²
Arrecadação com 62m² no centro da Covilhã - potencial para habitaçãoExcelente oportunidade de investimento no coração da cidade da Covilhã!Esta arrecadação, com uma área generosa de 62m², oferece o potencial de ser transformada em habitação, mediante as devidas autorizações legais.Inserida numa zona com elevada procura de arrendamento, tanto por estudantes como por profissionais, esta é uma oportunidade ideal para quem procura rentabilizar o seu investimento numa localização central, próxima de serviços, comércio, universidade e transportes.Aproveite esta localização privilegiada e transforme este espaço num ativo habitacional valorizado."Excluído do SCE, ao abrigo da alínea d) do nº 2 do artigo 9º do Decreto-Lei nº 101-D/2020, de 7 de dezembro"CaracterísticasZonaAcessos: Bons, Transportes Púb.Centralidade: Centro da CidadeProximidade: Bancos, Bombeiros, Centros Comerciais, Clínica, Escolas, Farmácia, Ginásio, Jardins, Jardins Infância, Padaria, Serviços Públicos, Supermercado
AMI: 6863
Ref. Externa: EC-111250073
Id: 1756839
Inicie sessão para guardar este imóvel e aceder à sua lista de favoritos em qualquer dispositivo.
270.000 €
Área bruta : 1062 m²
Antiga Fábrica de Lanifícios com Elevado Potencial de Reabilitação - CovilhãApresenta-se para venda uma antiga fábrica de lanifícios, situada na cidade da Covilhã, numa localização verdadeiramente estratégica.O imóvel encontra-se a curta distância da Universidade da Beira Interior, do Hospital Pêro da Covilhã, bem como das principais zonas comerciais, serviços, transportes e acessos rodoviários, o que o torna especialmente atrativo para investimento.Com ampla área construída, pé-direito elevado e estrutura robusta típica do património industrial da região, este edifício oferece excelente potencial de reconversão, permitindo diversos tipos de projetos, tais como:- Empreendimento turístico ou hotel boutique, valorizando a história dos lanifícios e a identidade local- Residência universitária ou alojamento local- Conversão em vários apartamentos (habitação permanente ou para arrendamento)- Espaço multifuncional (habitação, comércio, serviços ou cultura)A envolvente urbana consolidada, aliada à crescente procura habitacional e turística da Covilhã, faz deste imóvel uma oportunidade rara para investidores e promotores imobiliários que procuram um projeto diferenciador, com identidade e elevado potencial de valorização.Um espaço onde a memória industrial da cidade pode ganhar nova vida, adaptada às necessidades contemporâneas."Excluído do SCE, ao abrigo da alínea d) do nº 2 do artigo 9º do Decreto-Lei nº 101-D/2020, de 7 de dezembro"CaracterísticasGeralLuz Natural: 75%Quarto de Banho: PróprioDivisõesÁrea: 1061m²Nº Divisões: 4ZonaAcessos: BonsCentralidade: Periferia CidadeProximidade: Bancos, Bombeiros, Centros Comerciais, Clínica, Escolas, Farmácia, Ginásio, Hospital, Jardins, Jardins Infância, Padaria, Polícia, Serviços Públicos, Supermercado
AMI: 6863
Ref. Externa: EC-111250258
Id: 1756812
Inicie sessão para guardar este imóvel e aceder à sua lista de favoritos em qualquer dispositivo.
170.000 €
Área bruta : 1185 m²
Pavilhão/Armazém de 1.080m² - Excelentes Acessibilidades e PotencialApresentamos um pavilhão/armazém com 1.080m² de área coberta, inserido num terreno com 3.600m², ideal para logística, armazenamento ou indústria.- Espaço amplo e funcional - Área de armazenagem em open-space, pé-direito alto e acesso para veículos de grande porte (TIR).- Zona administrativa - Escritório, receção e instalações sanitárias.- Localização estratégica - A apenas 15 minutos da A23, em zona consolidada com bons acessos e visibilidade.- Infraestruturas e envolvente - Inserido numa área mista habitacional e industrial, com comércio, serviços e estacionamento gratuito em baia na via pública.Uma excelente oportunidade para expandir o seu negócio com acessibilidades privilegiadas e ótima exposição. Contacte-nos para mais informações!
AMI: 6863
Ref. Externa: EC-111170111
Id: 1733395
Inicie sessão para guardar este imóvel e aceder à sua lista de favoritos em qualquer dispositivo.
170.000 €
Área bruta : 3600 m²
ArmazémÉ composto por zona de hall com IS, open space para escritório, área ampla de armazém e balneários com instalações sanitárias
AMI: 775
Ref. Externa: OP-001001159
Id: 1728802
Inicie sessão para guardar este imóvel e aceder à sua lista de favoritos em qualquer dispositivo.
1 WCs
Área bruta : 125 m²
Espaços ... na sua vida! Armazém versátil com grande potencial - Excelente oportunidade de investimento Apresentamos este armazém amplo e funcional, anteriormente utilizado como oficina de pintura automóvel, o que lhe confere características ideais para diversas atividades industriais, comerciais ou de armazenagem. O imóvel dispõe de uma estrutura robusta, pé-direito adequado, bons acessos e áreas amplas que permitem uma fácil adaptação a diferentes tipos de negócio. A utilização anterior como oficina de pintura demonstra a sua capacidade para acolher atividades técnicas e especializadas, estando preparado para receber equipamentos e operações de maior exigência. Uma oportunidade única para quem procura um armazém com história de uso profissional, flexibilidade e elevado potencial de aproveitamento. Situado numa zona com boa visibilidade e ótimos acessos rodoviários. Venham visitar...
AMI: 6602
Ref. Externa: 5742/CP
Id: 1633133
Inicie sessão para guardar este imóvel e aceder à sua lista de favoritos em qualquer dispositivo.
Profissionais que conhecem esta zona a fundo — contacte-os para uma avaliação personalizada.
1.700.000 €
Área bruta : 2897 m²
Armazém para reabilitar com 2.897 m2 com 4 pisos que se destinou a edifício fabril do sector têxtil localizado na cidade da Covilhã, junto ao polo da Faculdade de Ciências Sociais e Humanas da Universidade da Beira Interior. É composto por um corpo redondo com quatro pisos que foram utilizados com habitação, garagem, refeitório, balneários, escritórios, instalações sanitárias e arrecadações. O corpo principal é composto por 2 pisos amplos com cerca de 750 m2/cada de área bruta de construção. Fica a cerca de 1 km da Camara Municipal da Covilhã, inserido numa zona residencial muito caracterizada por alojamento para estudantes. Destacamos as áreas amplas e a altura dos dois pisos amplos para armazém e ou fabrica, a sua localização muito central e a proximidade ao centro da cidade e aos seus principais serviços públicos e privados e a uma vasta quantidade de comércio de rua. Fica apenas a 5 km do hospital central da Covilhã e da faculdade de medicina e a 10 km do acesso mais próximo da auto estrada A23. A informação disponibilizada, ainda que precisa, não dispensa a sua confirmação nem pode ser considerada vinculativa. Mais informações não hesite em entrar em contacto connosco. Faça uma visita sem compromisso. Somos intermediários de crédito. Consulte-nos também para obter a melhor solução de financiamento. Licença Nº 1963.
AMI: 11371
Ref. Externa: MAG_4701
Id: 1632305
Inicie sessão para guardar este imóvel e aceder à sua lista de favoritos em qualquer dispositivo.
210.000 €
Área bruta : 800 m²
Prédio urbano composto por vários edifícios destinados a indústria. Antiga fábrica de lanifícios situada na Covilhã, junto ao polo principal da Universidade da Beira Interior Fábrica, atualmente desativada, com: Área total do terreno: 2.047,00 m²; Área de implantação do edifício: 800,00 m²; Área bruta de construção: 800,00 m² Área bruta dependente: 200,00 m² Área bruta privativa: 600,00 m². Esta propriedade acesso a água, passando junto ao terreno uma ribeira. Está a 5 minutos do centro da cidade, da estação CP, central de camionagem e do Shopping. Ideal para construção de um hotel, hostel ou residencial académica, com espaço exterior para piscina e para colocar um restaurante panorâmico. A informação disponibilizada, ainda que precisa, não dispensa a sua confirmação nem pode ser considerada vinculativa. Mais informações não hesite em entrar em contacto connosco. Faça uma visita sem compromisso. Somos intermediários de crédito. Consulte-nos também para obter a melhor solução de financiamento. Licença Nº 1963.
AMI: 11371
Ref. Externa: NAU_4633
Id: 1632289
Inicie sessão para guardar este imóvel e aceder à sua lista de favoritos em qualquer dispositivo.
265.500 €
Área bruta : 716 m²
Pavilhão Industrial para venda na Covilhã! Edifício numa localização excecional, com ótimos acessos, inserido na zona urbana da cidade. Com uma área bruta construída de 715,80m2, encontra-se implantado num terreno com 634 m2, podendo servir diversas finalidades (armazém, atividade industrial, etc.). Excelente oportunidade de investimento! Consulte-nos para mais informações e agende a sua visita. _______________________________________________________________________________________________________________ Porquê comprar com a UNU Rede Imobiliária? Porque a UNU tem para lhe oferecer o melhor serviço no momento de vender, comprar ou arrendar casa! Integridade, credibilidade e profissionalismo As agências imobiliárias UNU pautam o seu trabalho por estas 3 premissas. Desta forma, asseguramos a todos os nossos clientes um serviço de excelência, altamente personalizado. Acreditamos que o momento de comprar casa tem de ser um momento prazeroso e por isso estamos aqui para lhe oferecer o melhor serviço! Consultores Imobiliários profissionais e experientes A UNU Rede Imobiliária, acredita que é ao investir na formação dos seus consultores imobiliários que consegue prestar um serviço de excelência. Por isso, proporcionamos a melhor formação e os sistemas mais sofisticados no mercado para que os nossos consultores imobiliários se concentrem no que é mais importante: os nossos Clientes! Vasta carteira de imóveis As agências imobiliárias UNU têm a vantagem de ter uma visão única sobre o mercado imobiliário. Todos os dias novas oportunidades de negócio para vender, comprar ou arrendar casa são registadas no portal imobiliário UNU. Os nossos consultores imobiliários realizam diversos estudos de mercado todos os meses, com um conhecimento profundo do mercado imobiliário onde operam, para o/a poder aconselhar. Partilha para vender mais rápido Na UNU Rede Imobiliária trabalhamos em regime de partilha por isso, ao trabalhar connosco, conta com a garantia de que procuraremos em toda a oferta do mercado o seu imóvel ideal. 100% nacional A UNU é uma rede imobiliária 100% nacional que marca a diferença no atrativo mercado imobiliário em Portugal, e cuja posição no mercado é conquistada diariamente, pela sua diferenciação de serviço, compromisso com os clientes e cultura marcadamente nacional. UNU Rede Imobiliária O melhor serviço imobiliário para quem quer comprar casa, vender casa ou arrendar casa. unu.pt
AMI: 12348
Ref. Externa: UNU.I.1539.12348
Id: 1206407
Inicie sessão para guardar este imóvel e aceder à sua lista de favoritos em qualquer dispositivo.
270.000 €
Área útil : 1394 m²
FAÇA CONNOSCO O MELHOR NEGÓCIO Antigo armazém situado numas das zonas mais atrativas a nível residencial Conta já com Projeto de Viabilidade de reconstrução para um complexo com 26 apartamentos individuais: - 22 apartamentos de tipologia T1 e - 4 apartamentos de tipologia T2, - restaurante, - bar, - ginásio, - sala de repouso, - lavandaria, - piscina interior e exterior, - logradouro e espaços verdes. Levantamento Topográfico e levantamento do existente já estão executados. Torna-se assim, um espaço totalmente autónomo e independente, com área total de 4.200m2, gerando assim um forte potencial de negócio. O projeto encontra-se dentro da Área de Reabilitação urbana (ARU) e no instrumento Financeiro de Reabilitação e revitalização urbana. (IFRRU). Imóvel localizado muito próximo dos demais Polos da Universidade da Beira Interior nomeadamente do Polo Principal, atraindo assim, muitos jovens à procura de casa na zona. A Covilhã DmC GCMAI é uma cidade portuguesa pertencente ao distrito de Castelo Branco, na província da Beira Baixa, região estatística do Centro e sub-região das Beiras e Serra da Estrela. É a porta sul da Serra da Estrela e tem 33 691 habitantes (2021) no seu perímetro urbano formado por cinco freguesias: Covilhã e Canhoso, Teixoso e Sarzedo, Cantar-Galo e Vila do Carvalho, Boidobra e Tortosendo. É a terra da indústria da lã, de cariz operário, berço de descobridores de quinhentos, hoje uma cidade com Universidade pública. A cidade da Covilhã está situada na vertente sudeste da Serra da Estrela e é um dos centros urbanos de maior relevo da região juntamente com Coimbra, Aveiro, Viseu, Figueira da Foz, Guarda, Castelo Branco, etc. O seu núcleo urbano estende-se entre os 450 e os 800 m de altitude. O ponto mais alto de Portugal Continental, a Torre (1 993 m), pertence às freguesias de Unhais da Serra (Covilhã), São Pedro (Manteigas), Loriga (Seia) e Alvoco da Serra (Seia), estando incluída em três municípios: Covilhã, Manteigas e Seia, mas dista cerca de 20 km do núcleo urbano da Covilhã, sendo a Covilhã, por isso, a cidade portuguesa mais próxima do ponto mais alto de Portugal Continental. É uma cidade de características próprias desde há séculos, conjugando em simultâneo factos interessantes da realidade portuguesa. Tratamos do seu processo de crédito, sem burocracias apresentando as melhores soluções para cada cliente. Intermediário de crédito certificado pelo Banco de Portugal com o nº 0001802. Ajudamos com todo o processo! Entre em contacto connosco ou deixe-nos os seus dados e entraremos em contacto assim que possível! CB70064MA
AMI: 8989
Ref. Externa: CB70064MA
Id: 1198352
Inicie sessão para guardar este imóvel e aceder à sua lista de favoritos em qualquer dispositivo.
170.000 €
Área bruta : 1185 m²
Armazém localizado na zona industrial do Paul, na Covilhã. Possui dois acessos, amplos espaços interiores e exteriores, incluindo logradouro e pátio. O imóvel tem uma configuração retangular. A 15 Km da entrada da A23, com fáceis acessos para Castelo Branco e Vilar Formoso.
AMI: 3245
Ref. Externa: 41227
Id: 885512
Inicie sessão para guardar este imóvel e aceder à sua lista de favoritos em qualquer dispositivo.
187.000 €
Área útil : 1250 m²
Armazém/Antiga Fábrica de Lanifícios à Venda – CovilhãInvestimento Único na Covilhã – Antiga Fábrica de Lanifícios com Potencial Turístico e ImobiliárioApresentamos uma excelente oportunidade para investidores que procuram um imóvel com identidade, história e grande margem de valorização.Situado na histórica cidade da Covilhã, junto à ribeira da Carpinteira, este antigo complexo fabril oferece:1250 m² de área coberta, com arquitetura industrial tradicional, ideal para reabilitação;1910 m² de terreno, com espaço para expansão, criação de zonas ajardinadas, estacionamento ou novas construções;Inserido numa cidade com forte valorização turística, o centro histórico não fica distante, assim como a Universidade da Beira Interior e os acessos à Serra da Estrela;Potencial para desenvolvimento de projetos de turismo de charme, lofts residenciais, centro cultural, coworking, alojamento local ou unidade hoteleira.A estrutura existente permite soluções criativas de reabilitação, tirando partido da envolvente natural e do apelo autêntico do património industrial da região.Uma oportunidade rara para transformar o passado num projeto de futuro.
AMI: 4680
Ref. Externa: 2611/AR
Id: 606011
Inicie sessão para guardar este imóvel e aceder à sua lista de favoritos em qualquer dispositivo.
265.500 €
Área bruta : 649 m²
Armazém - Pavilhão com 634 m2 de área. Localizado na zona do Sineiro - Covilhã. Disponível para qualquer área de actividade industrial.
AMI: 4680
Ref. Externa: 2031/AR
Id: 373951
Inicie sessão para guardar este imóvel e aceder à sua lista de favoritos em qualquer dispositivo.
Área útil : 25 m²
Arrecadação de 25 m² na Covilhã, localizada em cave de edifício comercial. O edifício denominado de 'Centro Comercial', situa-se numa zona privilegiada da cidade, com existência de serviços e comércio, ao lado da Igreja da Santíssima Trindade e próximo do Tribunal. Os acessos são bons e possui todas as infraestruturas. . Não perca esta oportunidade. Contacte-nos. A Life Time tem uma equipa onde pode encontrar profissionais dedicados. A nossa conduta é baseada em valores como a confiança, a integridade e o profissionalismo. Os nossos consultores estão preparados para lhe oferecer um serviço de excelência na compra/arrendamento da casa ou investimento dos seus sonhos. Para tal têm acessos às melhores formações no mercado imobiliário, de forma a identificar as suas necessidades reais. A nossa gestão processual tratará de todo o processo desde das simulações bancárias até à documentação da escritura e realização da mesma. Na Life Time temos serviços que vão desde a compra, arrendamento, obras, financiamentos e gestão de imóveis sempre com o foco no melhor serviço ao cliente.
AMI: 10987
Ref. Externa: LT0951
Id: 232783
Inicie sessão para guardar este imóvel e aceder à sua lista de favoritos em qualquer dispositivo.
© Copyright 2023 | CASACERTA. All rights reserved
Guardar favoritos
Este imóvel foi guardados nos seus favoritos com sucesso.
Para poder guardar pesquisa deverá ter a sua sessão iniciada.
Caso não tenha uma conta, deverá criar uma.
A sua pesquisa foi guardada com sucesso!
Este site utiliza cookies. Ao navegar no site estará a consentir a sua utilização.
Para mais informações sobre os cookies pode consultar a
política de privacidade.