Lista
Comprar
Arrendar
790.000 €
3 Quartos
2 WCs
Área bruta : 167 m²
Aninhada no coração da serra algarvia, esta encantadora moradia tradicional com 167 m² de área bruta, situada num amplo terreno de 3800 m², combina na perfeição o sossego do campo com o conforto moderno. Totalmente renovada nos últimos anos com telhado e estrutura refeitos em 2021, pavimento recente e furo profundo legalizado e instalado em 2023 oferece um ambiente acolhedor e tranquilo em plena natureza. No interior, dois salões convidam ao descanso, enquanto os três quartos e duas casas de banho garantem todo o conforto necessário. A cozinha equipada abre-se para um terraço excecional, verdadeiro coração da propriedade. Totalmente revestido com pedra de Santa Catarina, este espaço distribui-se por várias zonas dedicadas ao bem-estar e à convivência. A cozinha de verão está equipada com barbecue com grelhador giratório, uma chapa, forno a lenha e zona de arrumação, permitindo aproveitar ao máximo as longas noites de verão. Há também a possibilidade de instalar uma televisão para acompanhar os seus eventos desportivos preferidos. Ao centro, a piscina infinita com sistema de sal fácil de manter convida à frescura e ao relaxamento. Uma segunda zona de barbecue fica em frente a um terraço coberto, contíguo à cozinha, ideal para refeições em família no dia a dia. À direita, uma área ajardinada com relva sintética e campo de petanca proporciona um espaço de lazer perfeito, com vista para a paisagem natural envolvente. Na parte inferior do terreno, a garagem surpreende pelas suas dimensões generosas, integrando uma oficina, sala de máquinas, arrecadação técnica e até uma fossa com iluminação, ideal para os amantes de mecânica. Parte da garagem já está a ser convertida num apartamento de um ou dois quartos com cerca de 65 m², e do outro lado há um projeto de estúdio com terraço privativo. As infraestruturas elétricas, canalizações e ligação por satélite já estão prontas para receber estes novos espaços. O terreno, em grande parte ajardinado e de fácil manutenção, alberga uma bela variedade de árvores de fruto limoeiros, laranjeiras, clementineiras, abacateiros, mangueiras misturando-se com espécies autóctones como alfarrobeiras, sobreiros e oliveiras. Aqui, o canto dos pássaros marca o ritmo dos dias, num refúgio de natureza preservada onde sabe bem viver. Esta casa é perfeita para quem procura tranquilidade longe do reboliço urbano. É também ideal para um projeto de turismo rural, podendo incluir uma vertente de glamping para uma experiência diferenciadora. E apesar da paz que aqui se sente, não estará isolado: a típica vila de Alte, com médicos, lojas e restaurantes, fica a apenas 5 minutos de carro, enquanto São Bartolomeu de Messines e o acesso à A22 (direção Albufeira ou Faro) estão a 15 minutos, aliando tranquilidade e praticidade. Não perca esta oportunidade ! Marque já a sua visita ! Hometown - Compromisso, Transparência e Excelência Imobiliária Desde 2018, a Hometown tem vindo a consolidar-se como uma referência no setor imobiliário, destacando-se pelo crescimento sustentado e pela confiança dos nossos clientes. A nossa equipa atua com profissionalismo e dedicação, mantendo um ambiente de trabalho baseado na cooperação, transparência e ética. Porque escolher a Hometown? Acompanhamento personalizado e próximo, desde a primeira visita até ao pós-venda Equipa experiente e focada em oferecer soluções adaptadas às suas necessidades Reconhecimento no setor, com dois prémios imobiliários conquistados em 2024 Compromisso inabalável com a satisfação dos nossos clientes Na Hometown, não vendemos apenas imóveis criamos relações de confiança duradouras. Contacte-nos e descubra um serviço imobiliário à medida das suas expectativas.
AMI: 16926
Ref. Externa: HTP-0926
Id: 1630555
Inicie sessão para guardar este imóvel e aceder à sua lista de favoritos em qualquer dispositivo.
545.000 €
2 Quartos
3 WCs
Área bruta : 135 m²
Bem vindos a esta bonita casa de campo, situada a apenas alguns minutos de Messines no Algarve. Rodeada pela natureza, num ambiente preservado e tranquilo, esta propriedade oferece um estilo de vida saudável e harmonioso, ideal para os amantes da calma, do verde e da autenticidade. Recentemente renovada com cuidado, alia o charme da tradição ao conforto contemporâneo. Originalmente construída em taipa uma técnica ancestral em terra crua reconhecida pela sua qualidade isolante foi reforçada com pilares de betão armado, garantindo solidez e durabilidade. A sala de estar, espaçosa e luminosa, beneficia de uma bela luz natural graças às grandes portas de correr em vidro que se abrem para um terraço coberto, uma verdadeira divisão extra onde se pode contemplar as paisagens ondulantes e o jardim de riqueza botânica surpreendente. A cozinha, moderna e totalmente equipada com eletrodomésticos de qualidade e arrumação funcional, convida à convivialidade e à partilha. Enquanto isso, a lavandaria, espaçosa e bem pensada, completa os espaços de vida, oferecendo conforto adicional no dia a dia. A casa dispõe de dois quartos em suite, cada um oferecendo espaço, privacidade e uma atmosfera acolhedora. Uma terceira casa de banho independente acolhe os seus convidados com todo o conforto necessário. O ar condicionado reversível, as janelas de alumínio com vidros duplos, os estores elétricos, os mosquiteiros e a ligação Wi-Fi por fibra completam o conjunto das comodidades modernas. No exterior, o jardim cuidadosamente cuidado é um verdadeiro paraíso vegetal: abacateiro, limoeiro, laranjeira, tangerineira, kumquat, combava, figueira, goiabeira, lichia, pitanga, maracujá, araçá, pessegueiro, pistácio, noz-pecã, macadâmia, amendoeira... Um ecossistema exuberante, alimentado por um sistema automático de rega ligado a um furo (bomba substituída em 2025), que por sua vez abastece um reservatório de 40 m³. A casa está também equipada com um segundo reservatório de 30 m³ com sistema de recolha de águas pluviais. Tudo foi pensado para um uso ecológico e responsável. Completa-se ainda com ligação à água da rede pública e uma fossa séptica para águas residuais. A propriedade, situada num terreno que combina área urbana e zona rústica RAN, oferece um grande potencial de desenvolvimento: é possível, mediante a apresentação de um projeto à câmara municipal, construir uma ampliação e uma piscina nas imediações da casa (até 300 m² de área construída). Entre conforto, autenticidade, modernidade e possibilidades de evolução, esta casa de campo é muito mais do que um lugar para viver: é um convite a um modo de vida sereno e enraizado, numa das regiões mais bonitas do sul de Portugal. Marque já a sua visita ! Hometown - Compromisso, Transparência e Excelência Imobiliária Desde 2018, a Hometown tem vindo a consolidar-se como uma referência no setor imobiliário, destacando-se pelo crescimento sustentado e pela confiança dos nossos clientes. A nossa equipa atua com profissionalismo e dedicação, mantendo um ambiente de trabalho baseado na cooperação, transparência e ética. Porque escolher a Hometown ? Acompanhamento personalizado e próximo, desde a primeira visita até ao pós-venda Equipa experiente e focada em oferecer soluções adaptadas às suas necessidades Reconhecimento no setor, com dois prémios imobiliários conquistados em 2024 Compromisso inabalável com a satisfação dos nossos clientes Na Hometown, não vendemos apenas imóveiscriamos relações de confiança duradouras. Contacte-nos e descubra um serviço imobiliário à medida das suas expectativas.
AMI: 16926
Ref. Externa: HTP-0952
Id: 1630551
Inicie sessão para guardar este imóvel e aceder à sua lista de favoritos em qualquer dispositivo.
110.000 €
3 Quartos
1 WCs
Área bruta : 92 m²
Casa Antiga Tradicional, localizada próximo de Alte. Constituída por 3 quartos, cozinha, sala e uma arrecadação. Espaço exterior com forno de cozer pão e logradouro de 45 m2, Bons Acessos, Água canalizada e eletricidade.
AMI: 6110
Ref. Externa: MO12748
Id: 1604592
Inicie sessão para guardar este imóvel e aceder à sua lista de favoritos em qualquer dispositivo.
440.000 €
2 Quartos
2 WCs
Área bruta : 122 m²
No coração do Algarve mais autêntico, surge Casas Olivento um refúgio contemporâneo e exclusivo, composto por três moradias T2 geminadas, que combinam arquitetura moderna, conforto premium e uma envolvente natural de tirar o fôlego. Situadas na tranquila localidade de Alcaria do João, a poucos minutos da charmosa vila de Alte, estas propriedades oferecem o equilíbrio perfeito entre a serenidade do campo e a proximidade das melhores praias da região. Atualmente em fase de construção, com conclusão prevista até ao último trimestre de 2025, as Casas Olivento representam uma excelente oportunidade de investimento, com margem de valorização e possibilidade de personalização em fase inicial. Com uma área interior de cerca de 120 m² cada, estas moradias geminadas, distribuídas de forma harmoniosa, encontram-se implantadas em lotes individuais com jardim virado a sul, piscina privativa e estacionamento coberto. Concebidas com atenção ao detalhe, destacam-se pelos materiais de elevada qualidade, painéis solares, ar condicionado em todas as divisões e um layout funcional que privilegia a luminosidade natural e a ligação entre os espaços interiores e exteriores. A poucos minutos de distância, poderá usufruir de praias emblemáticas do Algarve, como Quarteira, Vilamoura, Falésia ou Albufeira, que oferecem águas cristalinas, areais extensos, restaurantes à beira-mar e diversas atividades náuticas. Esta rara combinação entre o verde do campo e o azul do mar permite-lhe viver num ambiente calmo e seguro, com a natureza como pano de fundo, sem abdicar do acesso rápido ao melhor que o Algarve tem para oferecer. A apenas 2 minutos de carro do centro de Alte, na aldeia serena de Alcaria do João, encontra-se este pequeno paraíso, conhecido localmente como 'Paraíso'. Este local oferece paz e tranquilidade sem isolamento, onde a vida flui com simplicidade o padeiro passa pela aldeia todas as manhãs de segunda a sexta-feira com pão fresco, e o peixe é vendido duas vezes por semana. A comunidade é calorosa e acolhedora, composta por residentes locais e internacionais, sobretudo ingleses e holandeses. Mesmo nos meses de verão, Alcaria do João mantém o seu ambiente calmo, longe dos congestionamentos típicos das zonas balneares, mas com fácil acesso às praias, comércio e serviços. O Algarve oferece verdadeiramente o melhor de vários mundos: 300 dias de sol por ano Colinas ideais para caminhadas e passeios de bicicleta, tours de jipe e visitas a adegas Aldeias históricas como Silves, Loulé e Monchique Praias paradisíacas para dias de puro descanso Gastronomia de excelência e vinhos premiados Aeroporto de Faro com voos diretos para 57 países Mais de 40 campos de golfe e 8 restaurantes com estrela Michelin Características Principais de Cada Moradia Eficiência Energética Equipadas com painéis solares no telhado e ar condicionado em todas as divisões (quente e frio), para máximo conforto durante todo o ano. Espaço Exterior Privativo Jardim virado a sul, com exposição solar durante todo o dia, piscina privativa 3x5m com sistema de filtragem subterrâneo, pavimento decorativo e zonas ajardinadas. Arrumação Prática Cada moradia inclui um anexo exterior para arrumação (mobiliário de jardim, acessórios de piscina, etc.). Estacionamento Conveniente Cobertura para 1 viatura entre as casas, com vedação baixa para maior segurança. Detalhes únicos em cada casa Moradias 1 e 2: Faixa de vegetação frontal de baixa manutenção Moradia 3: Canteiro decorativo frontal para um toque natural adicional Viver com Estilo e Sustentabilidade Piso Térreo Ao entrar, será recebido por um hall elegante que dá acesso às escadas para o piso superior e a um WC de serviço. A cozinha em open space é o centro da casa, com eletrodomésticos de alta qualidade: máquina de lavar loiça, forno combinado, placa elétrica e arrumação extra. A sala de estar é espaçosa, perfeita para relaxar ou receber, com portas de correr em vidro que abrem para o jardim, proporcionando muita luz natural e uma ligação perfeita entre interior e exterior. Piso Superior O hall dá acesso aos quartos e à casa de banho. A casa de banho principal é um verdadeiro refúgio: inclui banheira generosa, duche ao nível do chão, sanita e lavatório com bancada ampla. O primeiro quarto é espaçoso e versátil, com armários embutidos e orientação a norte, ideal para manter a frescura. A master suite é o destaque do piso, com vista para o jardim, armário embutido e excelente luminosidade. Se deseja viver num ambiente sereno, moderno e sustentável, ou investir numa zona do Algarve em crescimento e valorização constante, Casas Olivento é a oportunidade certa. Aqui, o campo e o mar vivem em perfeita harmonia. Distâncias a pontos de interesse: 2 km - Centro de Alte (comércio local, cafés, serviços) 5 km - Intermarché São Bartolomeu de Messines 12 km - Continente Modelo e Mercado Municipal de Loulé 13 km - Escola Internacional de Vilamoura 15 km - Loulé (serviços públicos, hospital, centro histórico) 25 km - Praia de Quarteira 28 km - Marina de Vilamoura (vida noturna, casino, restaurantes) 30 km - Zoomarine Algarve (entretenimento familiar) 33 km - Forum Algarve (centro comercial, cinemas, lojas premium) 35 km - Albufeira (praias, restaurantes, animação noturna) 40 km - Praia da Falésia (uma das mais belas do país) 42 km - Quinta do Lago & Vale do Lobo (golfe, lifestyle premium) 45 km - Mar Shopping Algarve & IKEA Transportes e acessos: 3 km - Acesso à A2 (Lisboa - Algarve) 8 km - Estação ferroviária de Messines-Alte 35 km - Aeroporto Internacional de Faro 40 km - Acesso à A22 (Via do Infante, ligação a Espanha e ao Barlavento Algarvio)
AMI: 23002
Ref. Externa: CAS_424_D
Id: 1566852
Inicie sessão para guardar este imóvel e aceder à sua lista de favoritos em qualquer dispositivo.
460.000 €
2 Quartos
2 WCs
Área bruta : 122 m²
No coração do Algarve mais autêntico, surge Casas Olivento um refúgio contemporâneo e exclusivo, composto por três moradias T2 geminadas, que combinam arquitetura moderna, conforto premium e uma envolvente natural de tirar o fôlego. Situadas na tranquila localidade de Alcaria do João, a poucos minutos da charmosa vila de Alte, estas propriedades oferecem o equilíbrio perfeito entre a serenidade do campo e a proximidade das melhores praias da região. Atualmente em fase de construção, com conclusão prevista até ao último trimestre de 2025, as Casas Olivento representam uma excelente oportunidade de investimento, com margem de valorização e possibilidade de personalização em fase inicial. Com uma área interior de cerca de 120 m² cada, estas moradias geminadas, distribuídas de forma harmoniosa, encontram-se implantadas em lotes individuais com jardim virado a sul, piscina privativa e estacionamento coberto. Concebidas com atenção ao detalhe, destacam-se pelos materiais de elevada qualidade, painéis solares, ar condicionado em todas as divisões e um layout funcional que privilegia a luminosidade natural e a ligação entre os espaços interiores e exteriores. A poucos minutos de distância, poderá usufruir de praias emblemáticas do Algarve, como Quarteira, Vilamoura, Falésia ou Albufeira, que oferecem águas cristalinas, areais extensos, restaurantes à beira-mar e diversas atividades náuticas. Esta rara combinação entre o verde do campo e o azul do mar permite-lhe viver num ambiente calmo e seguro, com a natureza como pano de fundo, sem abdicar do acesso rápido ao melhor que o Algarve tem para oferecer. A apenas 2 minutos de carro do centro de Alte, na aldeia serena de Alcaria do João, encontra-se este pequeno paraíso, conhecido localmente como 'Paraíso'. Este local oferece paz e tranquilidade sem isolamento, onde a vida flui com simplicidade o padeiro passa pela aldeia todas as manhãs de segunda a sexta-feira com pão fresco, e o peixe é vendido duas vezes por semana. A comunidade é calorosa e acolhedora, composta por residentes locais e internacionais, sobretudo ingleses e holandeses. Mesmo nos meses de verão, Alcaria do João mantém o seu ambiente calmo, longe dos congestionamentos típicos das zonas balneares, mas com fácil acesso às praias, comércio e serviços. O Algarve oferece verdadeiramente o melhor de vários mundos: 300 dias de sol por ano Colinas ideais para caminhadas e passeios de bicicleta, tours de jipe e visitas a adegas Aldeias históricas como Silves, Loulé e Monchique Praias paradisíacas para dias de puro descanso Gastronomia de excelência e vinhos premiados Aeroporto de Faro com voos diretos para 57 países Mais de 40 campos de golfe e 8 restaurantes com estrela Michelin Características Principais de Cada Moradia Eficiência Energética Equipadas com painéis solares no telhado e ar condicionado em todas as divisões (quente e frio), para máximo conforto durante todo o ano. Espaço Exterior Privativo Jardim virado a sul, com exposição solar durante todo o dia, piscina privativa 3x5m com sistema de filtragem subterrâneo, pavimento decorativo e zonas ajardinadas. Arrumação Prática Cada moradia inclui um anexo exterior para arrumação (mobiliário de jardim, acessórios de piscina, etc.). Estacionamento Conveniente Cobertura para 1 viatura entre as casas, com vedação baixa para maior segurança. Detalhes únicos em cada casa Moradias 1 e 2: Faixa de vegetação frontal de baixa manutenção Moradia 3: Canteiro decorativo frontal para um toque natural adicional Viver com Estilo e Sustentabilidade Piso Térreo Ao entrar, será recebido por um hall elegante que dá acesso às escadas para o piso superior e a um WC de serviço. A cozinha em open space é o centro da casa, com eletrodomésticos de alta qualidade: máquina de lavar loiça, forno combinado, placa elétrica e arrumação extra. A sala de estar é espaçosa, perfeita para relaxar ou receber, com portas de correr em vidro que abrem para o jardim, proporcionando muita luz natural e uma ligação perfeita entre interior e exterior. Piso Superior O hall dá acesso aos quartos e à casa de banho. A casa de banho principal é um verdadeiro refúgio: inclui banheira generosa, duche ao nível do chão, sanita e lavatório com bancada ampla. O primeiro quarto é espaçoso e versátil, com armários embutidos e orientação a norte, ideal para manter a frescura. A master suite é o destaque do piso, com vista para o jardim, armário embutido e excelente luminosidade. Se deseja viver num ambiente sereno, moderno e sustentável, ou investir numa zona do Algarve em crescimento e valorização constante, Casas Olivento é a oportunidade certa. Aqui, o campo e o mar vivem em perfeita harmonia. Distâncias a pontos de interesse: 2 km - Centro de Alte (comércio local, cafés, serviços) 5 km - Intermarché São Bartolomeu de Messines 12 km - Continente Modelo e Mercado Municipal de Loulé 13 km - Escola Internacional de Vilamoura 15 km - Loulé (serviços públicos, hospital, centro histórico) 25 km - Praia de Quarteira 28 km - Marina de Vilamoura (vida noturna, casino, restaurantes) 30 km - Zoomarine Algarve (entretenimento familiar) 33 km - Forum Algarve (centro comercial, cinemas, lojas premium) 35 km - Albufeira (praias, restaurantes, animação noturna) 40 km - Praia da Falésia (uma das mais belas do país) 42 km - Quinta do Lago & Vale do Lobo (golfe, lifestyle premium) 45 km - Mar Shopping Algarve & IKEA Transportes e acessos: 3 km - Acesso à A2 (Lisboa - Algarve) 8 km - Estação ferroviária de Messines-Alte 35 km - Aeroporto Internacional de Faro 40 km - Acesso à A22 (Via do Infante, ligação a Espanha e ao Barlavento Algarvio)
AMI: 23002
Ref. Externa: CAS_424_A
Id: 1566851
Inicie sessão para guardar este imóvel e aceder à sua lista de favoritos em qualquer dispositivo.
85.000 €
2 Quartos
1 WCs
Área bruta : 60 m²
Casa situada a pouca distância de Alte e inserida em terreno com 5500 mts. Com 5 divisões e bons acessos. Tem muito potencial para renovação e ampliação. A area de terreno frente á casa esta inserida em zona urbana tipo C Luz no local Oportunidade!
AMI: 9595
Ref. Externa: SC 354-1
Id: 1465574
Inicie sessão para guardar este imóvel e aceder à sua lista de favoritos em qualquer dispositivo.
645.000 €
12 Quartos
5 WCs
Área bruta : 479 m²
Moradia com Potencial Turístico Imenso em Alte. Descubra esta moradia excepcional em Alte, uma aldeia pitoresca e serena, um dos locais mais autênticos e procurados do interior do Algarve. Esta propriedade é um investimento com um potencial de rentabilidade extraordinário, ideal para transformá-lo num charmoso Turismo Rural, Boutique Hotel ou Alojamento Local. Estrutura e Potencial de Alojamento: A casa, com impressionantes 479 m² distribuídos por 3 pisos, está atualmente configurada como 3 apartamentos independentes (um por piso), totalizando 12 quartos e oferecendo margem para otimização e criação de mais unidades. Total de Quartos: 12 (Com potencial para criar mais, otimizando o espaço). Piso 0 (R/C): Entrada, 2 Quartos, uma casa de banho, Cozinha de 30 m2, e uma Grande Sala de 60 m2 com entrada independente (Perfeita para área comum/restauração do seu projeto turístico). Piso 1: 5 Quartos (inclui 1 Suíte), Cozinha e Casa de Banho. Piso 2: 6 Quartos, Casa de Banho e uma Cozinha facilmente convertível em +1 Quarto/Suíte. Exterior e Comodidades (900 m² de Terreno) O espaço exterior oferece a tranquilidade do campo e todas as comodidades essenciais para um projeto de sucesso. Terreno: Cerca de 750 m2 de área útil. Infraestruturas: 2 Anexos para apoio ou conversão, Garagem e uma antiga Cisterna. Recursos Naturais: Propriedade servida por Água de Furo. Jardim: Várias árvores de fruto, como figueiras e amendoeiras. Lazer: Possibilidade de Construção de Piscina. Vantagem de Investimento: Localização estratégica, no interior sereno, mas com acesso rápido a Loulé e à costa. Opções de Expansão: Possibilidade de adquirir anexos e terrenos rústicos adjacentes para aumentar o seu projeto. Não perca esta oportunidade de criar o seu negócio de sonho no Algarve! Contacte-nos para mais detalhes e agende a sua visita. #ref: 734531
AMI: 11220
Ref. Externa: 734531
Id: 1463178
Inicie sessão para guardar este imóvel e aceder à sua lista de favoritos em qualquer dispositivo.
545.000 €
2 Quartos
3 WCs
Área bruta : 135 m²
VENDIDO AO ABRIGO DA LEI SIMPLEX Vai se encantar com esta moradia de campo, situada a poucos minutos de Messines, no Algarve e a 30mn de Loulé. Rodeada pela natureza e num ambiente calmo e preservado, é o lugar ideal para quem procura tranquilidade, ar puro e autenticidade. Recentemente renovada, a casa combina o charme tradicional com o conforto moderno. Originalmente construída em taipa uma técnica ancestral de terra crua com excelente isolamento foi reforçada com pilares de betão armado, garantindo solidez e durabilidade. A sala de estar é ampla e luminosa, com grandes portas de vidro que se abrem para um terraço coberto, perfeito para desfrutar da vista sobre o jardim e a paisagem. A cozinha, moderna e totalmente equipada, convida à partilha e à convivência. Há também uma lavandaria espaçosa e prática. A casa dispõe de dois quartos em suite e uma terceira casa de banho para visitas. Está equipada com ar condicionado reversível, janelas de vidro duplo, estores elétricos, mosquiteiros e Wi-Fi por fibra. O jardim é um verdadeiro refúgio verde, com grande variedade de árvores de fruto abacateiro, citrinos, figueira, goiabeira, lichia, maracujá, entre muitas outras. Possui rega automática alimentada por um furo (com bomba nova em 2025) e dois reservatórios de água um de 40 m³ e outro de 30 m³, este último para recolha de águas pluviais. A casa tem ainda ligação à rede pública de água e fossa séptica. O terreno, que combina zona urbana e rústica (RAN), oferece potencial de expansão, permitindo construir uma piscina (até 300 m² de área total), mediante aprovação camarária. Entre conforto, autenticidade e modernidade, esta propriedade é mais do que uma casa é um convite a viver de forma serena e sustentável numa das regiões mais bonitas do sul de Portugal.
AMI: 18719
Ref. Externa: M179
Id: 1443263
Inicie sessão para guardar este imóvel e aceder à sua lista de favoritos em qualquer dispositivo.
450.000 €
2 Quartos
2 WCs
Área útil : 78 m²
Descubra esta encantadora moradia térrea, situada a poucos minutos da aldeia de Alte. Composta por 3 quartos, sendo um deles em suite, combina o conforto da vida moderna com o encanto da arquitetura tradicional. Com uma cozinha totalmente equipada em open space e uma sala de jantar ampla e luminosa, oferece as condições ideias para receber a familia e amigos. A sala de estar, com uma lareira tradicional em pedra, é ideal para os dias frios. No exterior, irá encontrar uma zona de churrasco, coberta e funcional, equipada com churrasqueira e lava louça. O telheiro é perfeito para refeições ou para relaxar. Amplo terreno envolvente com imenso potencial, onde pode construir o seu jardim. Encontra ainda uma arrecadação e uma zona preparada para canil. Esta moradia localizada numa zona tranquila e rodeada pela natureza, é o refúgio ideal para quem procura paz, privacidade e qualidade de vida. Não perca a oportunidade de visitar esta moradia. Marque já a sua visita. #ref: 151470
AMI: 11220
Ref. Externa: 151470
Id: 1419860
Inicie sessão para guardar este imóvel e aceder à sua lista de favoritos em qualquer dispositivo.
480.000 €
6 Quartos
3 WCs
Área bruta : 179 m²
Propriedade à venda em Alte Algarve | Centro histórico no Geoparque Algarvensis Descubra esta oportunidade rara de adquirir uma propriedade no centro de Alte, a aldeia mais típica do concelho de Loulé e agora integrada no Geoparque Algarvensis Geoparque Mundial da UNESCO. O imóvel é composto por três artigos urbanos, com dois pisos, dois anexos, sótão e acesso por duas ruas, oferecendo várias possibilidades de utilização. Dispõe de pelo menos 4 quartos, 3 casas de banho e espaço adicional para criar mais divisões. A propriedade necessita de recuperação, mas o seu potencial é elevado: Casa de família para manter a tradição; Projeto de alojamento local (AL) no coração de uma aldeia autêntica; Espaço multifuncional para turismo, cultura ou habitação. Alte aldeia típica do Algarve Alte é conhecida pelas suas ruas calcetadas, casas caiadas de branco com chaminés rendilhadas e ambiente acolhedor. As principais atrações incluem a Fonte Grande e a Fonte Pequena, rodeadas de natureza e perfeitas para lazer. A aldeia tem também uma forte ligação cultural ao poeta Cândido Guerreiro e integra o território do Geoparque Algarvensis, valorizando ainda mais a região. Com boas acessibilidades a Loulé, Albufeira e às praias do Algarve, Alte combina autenticidade, natureza e investimento seguro. Agende já a sua visita com a Real Easy porque não há projetos impossíveis.
AMI: 22285
Ref. Externa: RE157
Id: 1370206
Inicie sessão para guardar este imóvel e aceder à sua lista de favoritos em qualquer dispositivo.
1.175.000 €
5 Quartos
5 WCs
Área útil : 286 m²
Propriedade Rural Exclusiva T5 Alte 1.175.000 | 12.000m² de terreno com vista panorâmica | Propriedade por Calvin | ACPS - Loulé Requintada propriedade de 5 quartos localizada em posição elevada virada a sul em um terreno substancial de 12.000m², oferecendo magníficas vistas panorâmicas do campo da Rocha de Pena a leste até a Serra de Monchique a oeste. Esta propriedade renovada com bom gosto possui cinco quartos com banheiro privativo, sala de estar espaçosa com teto abobadado de madeira de pé-direito duplo e sala de jantar iluminada que se abre para um generoso terraço coberto voltado para o sul. A cozinha totalmente equipada e a conveniente área de serviço aumentam a funcionalidade desta casa excepcional. No exterior, vários terraços adjacentes à casa perfeitos para relaxar e desfrutar de vistas deslumbrantes sobre o campo. O terraço da piscina inclui uma espaçosa casa de piscina, enquanto o terraço isolado adicional oferece privacidade para quem procura tranquilidade. Características da Propriedade 5 quartos com casa de banho privativa, 286m² construídos em terreno de 12.000m² Sala de estar espaçosa com teto abobadado de madeira de pé-direito duplo Sala de jantar luminosa que se abre para o terraço coberto virado a sul Cozinha totalmente equipada com área de serviço conveniente Piso radiante, ar condicionado, fogões a pellets nas áreas de estar Piscina aquecida, furo artesiano, sistema de irrigação Aquecimento solar de água, caldeira a gás, amaciante de água, isolamento térmico Localização privilegiada A apenas 5 minutos da pitoresca vila de Alte com várias comodidades, a 20 minutos da vibrante cidade mercantil de Loulé, a 30 minutos da costa e do aeroporto. Localização isolada excepcional com fácil acesso a todo o Algarve. Excelência em Investimentos Propriedade notável que oferece uma vida rural de luxo com vistas panorâmicas, comodidades modernas e localização privilegiada em Alte. Perfeito para compradores exigentes que procuram um autêntico estilo de vida algarvio com total privacidade. Property by Calvin - Seu Guia de Confiança para a Vida no Algarve Entre em contato com Calvin para visualização exclusiva e informações detalhadas sobre a propriedade. AMI Licenciado 12086. REFERÊNCIA: ACPS10842
AMI: 12086
Ref. Externa: ACPS10842
Id: 1368504
Inicie sessão para guardar este imóvel e aceder à sua lista de favoritos em qualquer dispositivo.
350.000 €
Área bruta : 184 m²
Esta propriedade é uma moradia com dois quartos localizada no Sítio Corte Bucho - Zambujal. É composta por dois pisos, sendo que o primeiro piso é o rés do chão. O imóvel possui duas salas de estar, duas cozinhas com lareiras, dois quartos e uma casa de banho. O imóvel possui ainda um pátio e uma garagem com espaço para um carro. Esta é uma oportunidade para desfrutar do campo e descontrair com a família e amigos. A propriedade possui um lote urbano de 1.800 metros quadrados, garantindo um amplo espaço para desenvolvimento. A distância da casa a Loulé é de 30,6 quilómetros. A distância da casa a São Bartolomeu de Messines é de 19,3 quilómetros. A distância da propriedade até à Guia, Albufeira é de 37,8 quilómetros. Esta moradia está localizada a 30,8 km de Loulé.
AMI: 7050
Ref. Externa: 338250074
Id: 1270856
Inicie sessão para guardar este imóvel e aceder à sua lista de favoritos em qualquer dispositivo.
790.000 €
3 Quartos
2 WCs
Área bruta : 230 m²
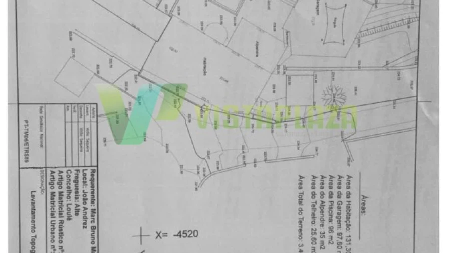
Implantada no coração da serra algarvia, esta encantadora moradia tradicional com 167m² de área bruta, situada num amplo terreno de 4170m², combina na perfeição o sossego do campo com o conforto moderno. Totalmente renovada nos últimos anos com telhado e estrutura refeitos em 2021, pavimento recente e furo de agua legalizado e instalado em 2023 oferece um ambiente acolhedor e tranquilo em plena natureza. No interior dois salões convidam ao descanso, enquanto os três quartos e duas casas de banho garantem todo o conforto necessário. A cozinha equipada abre-se para um terraço excecional, verdadeiro coração da propriedade. Totalmente revestido com pedra de Santa Catarina, este espaço distribui-se por várias zonas dedicadas ao bem-estar e à convivência. A cozinha de verão está equipada com barbecue com grelhador giratório, uma chapa, forno a lenha e zona de arrumação, permitindo aproveitar ao máximo as longas noites de verão. Ao centro, a piscina infinita com sistema de sal fácil de manter convida à frescura e ao relaxamento. Uma segunda zona de barbecue fica em frente a um terraço coberto, contíguo à cozinha, ideal para refeições em família no dia a dia. À direita, uma área ajardinada com relva sintética e campo de petanca proporciona um espaço de lazer perfeito, com vista para a paisagem natural envolvente. Na parte inferior do terreno, a garagem surpreende pelas suas dimensões generosas, integrando uma oficina, sala de máquinas, arrecadação técnica e até uma fossa com iluminação, ideal para os amantes de mecânica. Parte da garagem já está a ser convertida num apartamento de um ou dois quartos com cerca de 65 m², e do outro lado há um projeto de estúdio com terraço privativo. As infraestruturas elétricas, canalizações e ligação por satélite já estão prontas para receber estes novos espaços. O terreno, em grande parte ajardinado e de fácil manutenção, alberga uma bela variedade de árvores de fruto limoeiros, laranjeiras, clementineiras, abacateiros, mangueiras misturando-se com espécies autóctones como Alfarrobeiras, sobreiros e oliveiras. Aqui, o canto dos pássaros marca o ritmo dos dias, num refúgio de natureza preservada onde sabe bem viver. Esta casa é perfeita para quem procura tranquilidade longe do reboliço urbano. É também ideal para um projeto de turismo rural, podendo incluir uma vertente de glamping para uma experiência diferenciadora. E apesar da paz que aqui se sente, não estará isolado: a típica vila de Alte, com médicos, lojas e restaurantes, fica a apenas 5 minutos de carro, enquanto São Bartolomeu de Messines e o acesso à A22 (direção Albufeira ou Faro) estão a 15 minutos, aliando tranquilidade e praticidade. Grande oportunidade única: agende já a sua visita a esta moradia com piscina em Alte totalmente reabilitada! Refª VIV-7001
AMI: 9205
Ref. Externa: VIV-7001
Id: 1267264
Inicie sessão para guardar este imóvel e aceder à sua lista de favoritos em qualquer dispositivo.
1.175.000 €
5 Quartos
5 WCs
Área útil : 286 m²
Propriedade Rural Exclusiva com 5 Quartos, Alte Esta requintada propriedade com 5 quartos está localizada num local elevado e virado a sul, num terreno substancial de 12.000 m², oferecendo magníficas vistas panorâmicas do campo, desde a Rocha de Pena, a leste, até à Serra de Monchique, a oeste. Renovada com bom gosto, a propriedade dispõe de cinco quartos com casa de banho privativa, uma espaçosa sala de estar com teto abobadado de madeira de pé direito duplo e uma sala de jantar luminosa que se abre para um generoso terraço coberto virado a sul. A cozinha totalmente equipada e a conveniente área de serviço aumentam ainda mais a funcionalidade desta casa. Exteriormente, existem vários terraços adjacentes à casa, perfeitos para relaxar e desfrutar das deslumbrantes vistas para o campo. O terraço da piscina inclui uma espaçosa casa de piscina, enquanto um terraço adicional isolado oferece privacidade para quem procura privacidade. O acesso à propriedade é feito através de uma entrada recentemente pavimentada e oferece um amplo estacionamento lateral, deixando as incríveis vistas desimpedidas. As principais características desta propriedade incluem piso radiante, ar condicionado, salamandras a pellets nas salas de estar e de jantar, roupeiros embutidos, aquecimento solar de água, caldeira a gás, descalcificador de água, isolamento térmico, internet de fibra óptica de alta velocidade, piscina aquecida, furo artesiano, sistema de drenagem, sistema de irrigação e iluminação de jardim. A propriedade ocupa um amplo terreno virado a sul, a apenas 5 minutos da pitoresca vila de Alte, com as suas diversas comodidades, a 20 minutos da vibrante cidade mercantil de Loulé e a apenas 30 minutos da costa e do aeroporto. Esta localização excecional e isolada oferece fácil acesso a todo o Algarve. Uma visita a esta notável propriedade é altamente recomendada, pois certamente irá impressionar. #ref: 143910
AMI: 11220
Ref. Externa: 143910
Id: 1253596
Inicie sessão para guardar este imóvel e aceder à sua lista de favoritos em qualquer dispositivo.
400.000 €
2 Quartos
1 WCs
Área bruta : 244 m²
Moradia situada numa aldeia tranquila, a poucos minutos de Alte, com uma área total de construção de 244 m2, dos quais 70 m2 encontram-se em bom estado de conservação. O restante espaço necessita de restauro, oferecendo um enorme potencial de valorização.. . - Potencial de Expansão:. Inclui duas ruínas totalmente independentes no terreno, ideais para reconstrução e rentabilização através de venda ou arrendamento. . . . Terreno e Envolvência:. Inserida num lote de 700 m2, a propriedade oferece uma vista deslumbrante sobre a serra algarvia e total privacidade. No exterior, conta com um forno tradicional de cozer pão e um tanque de água, elementos que conferem autenticidade e charme ao espaço.. . . Composição Atual da Casa:. •1 Sala. •1 Cozinha. •1 Casa de Banho. •2 Quartos. . ✅ Possibilidade de reconstruir mais cerca de 160 m2, aumentando significativamente a área útil da habitação ou criando unidades adicionais.. . ? Localização Privilegiada:. •8 km da pitoresca aldeia de Alte, famosa pela sua beleza natural, ribeiras e a emblemática Cascata do Vigário. •13 km de São Bartolomeu de Messines. •28 km de Loulé. •35 km de Albufeira. . ? Ideal para quem procura tranquilidade no coração do Algarve, com fácil acesso a serviços, comércio e pontos turísticos.. . Venha conhecer este imóvel com grande potencial e descubra todas as possibilidades que tem para o transformar num verdadeiro refúgio algarvio.. Marque já a sua visita!
AMI: 5761
Ref. Externa: ALT1025/12485
Id: 1234032
Inicie sessão para guardar este imóvel e aceder à sua lista de favoritos em qualquer dispositivo.
525.000 €
Área bruta : 294 m²
Fantástica moradia localizada em Alte com vistas deslumbrantes sobre toda a zona histórica de Alte. É composta por 3 quartos, 2 cozinhas, 2 casas de banho, 2 salas de estar e sala de jantar. Tem 2 entradas diferentes que podem ser usadas para mãe e filha ou para arrendar ou turismo rural. Tem também pátio e terraço para desfrutar de um copo de vinho e ver as estrelas. O lote é de 2012m2 que tem uma entrada privada e uma garagem para 2 carros, o terreno tem um belo jardim e piscina acima do solo. Fica a uma curta distância a pé de restaurantes locais, farmácia, banco, centro médico e piscinas naturais e uma cascata incrível. Marque já a sua visita!
AMI: 7050
Ref. Externa: 338240093
Id: 1229197
Inicie sessão para guardar este imóvel e aceder à sua lista de favoritos em qualquer dispositivo.
229.000 €
6 Quartos
Área bruta : 219 m²
Moradia isolada T6 com vista para a Serra, em Corte Bucho Alte, Loulé.A moradia tem uma área útil de 139 m2 e está inserida num lote com 1.163 m2.No R/C é composta por 3 quarto, 2 cozinhas, uma sala e acesso direto para o exterior, e 1 WC.No 1º piso é composta por Sala, 3, quartos tem closet e 1 terraço.Tem um furo, eletricidade e uma fossa localizada no terreno. Se gosta do campo, então esta é a sua casa.A moradia está localizada numa zona tranquila a apenas 20 minutos de carro do centro de Alte, e a 40 minutos de Loulé. Marque hoje a sua visita
AMI: 7050
Ref. Externa: 338240150
Id: 1219216
Inicie sessão para guardar este imóvel e aceder à sua lista de favoritos em qualquer dispositivo.
425.000 €
2 Quartos
2 WCs
Área bruta : 122 m²
No coração do Algarve mais autêntico, surge Casas Olivento um refúgio contemporâneo e exclusivo, composto por três moradias T2 geminadas, que combinam arquitetura moderna, conforto premium e uma envolvente natural de tirar o fôlego. Situadas na tranquila localidade de Alcaria do João, a poucos minutos da charmosa vila de Alte, estas propriedades oferecem o equilíbrio perfeito entre a serenidade do campo e a proximidade das melhores praias da região. Atualmente em fase de construção, com conclusão prevista até ao último trimestre de 2025, as Casas Olivento representam uma excelente oportunidade de investimento, com margem de valorização e possibilidade de personalização em fase inicial. Com uma área interior de cerca de 120 m² cada, estas moradias geminadas, distribuídas de forma harmoniosa, encontram-se implantadas em lotes individuais com jardim virado a sul, piscina privativa e estacionamento coberto. Concebidas com atenção ao detalhe, destacam-se pelos materiais de elevada qualidade, painéis solares, ar condicionado em todas as divisões e um layout funcional que privilegia a luminosidade natural e a ligação entre os espaços interiores e exteriores. A poucos minutos de distância, poderá usufruir de praias emblemáticas do Algarve, como Quarteira, Vilamoura, Falésia ou Albufeira, que oferecem águas cristalinas, areais extensos, restaurantes à beira-mar e diversas atividades náuticas. Esta rara combinação entre o verde do campo e o azul do mar permite-lhe viver num ambiente calmo e seguro, com a natureza como pano de fundo, sem abdicar do acesso rápido ao melhor que o Algarve tem para oferecer. A apenas 2 minutos de carro do centro de Alte, na aldeia serena de Alcaria do João, encontra-se este pequeno paraíso, conhecido localmente como 'Paraíso'. Este local oferece paz e tranquilidade sem isolamento, onde a vida flui com simplicidade o padeiro passa pela aldeia todas as manhãs de segunda a sexta-feira com pão fresco, e o peixe é vendido duas vezes por semana. A comunidade é calorosa e acolhedora, composta por residentes locais e internacionais, sobretudo ingleses e holandeses. Mesmo nos meses de verão, Alcaria do João mantém o seu ambiente calmo, longe dos congestionamentos típicos das zonas balneares, mas com fácil acesso às praias, comércio e serviços. O Algarve oferece verdadeiramente o melhor de vários mundos: 300 dias de sol por ano Colinas ideais para caminhadas e passeios de bicicleta, tours de jipe e visitas a adegas Aldeias históricas como Silves, Loulé e Monchique Praias paradisíacas para dias de puro descanso Gastronomia de excelência e vinhos premiados Aeroporto de Faro com voos diretos para 57 países Mais de 40 campos de golfe e 8 restaurantes com estrela Michelin Características Principais de Cada Moradia Eficiência Energética Equipadas com painéis solares no telhado e ar condicionado em todas as divisões (quente e frio), para máximo conforto durante todo o ano. Espaço Exterior Privativo Jardim virado a sul, com exposição solar durante todo o dia, piscina privativa 3x5m com sistema de filtragem subterrâneo, pavimento decorativo e zonas ajardinadas. Arrumação Prática Cada moradia inclui um anexo exterior para arrumação (mobiliário de jardim, acessórios de piscina, etc.). Estacionamento Conveniente Cobertura para 1 viatura entre as casas, com vedação baixa para maior segurança. Detalhes únicos em cada casa Moradias 1 e 2: Faixa de vegetação frontal de baixa manutenção Moradia 3: Canteiro decorativo frontal para um toque natural adicional Viver com Estilo e Sustentabilidade Piso Térreo Ao entrar, será recebido por um hall elegante que dá acesso às escadas para o piso superior e a um WC de serviço. A cozinha em open space é o centro da casa, com eletrodomésticos de alta qualidade: máquina de lavar loiça, forno combinado, placa elétrica e arrumação extra. A sala de estar é espaçosa, perfeita para relaxar ou receber, com portas de correr em vidro que abrem para o jardim, proporcionando muita luz natural e uma ligação perfeita entre interior e exterior. Piso Superior O hall dá acesso aos quartos e à casa de banho. A casa de banho principal é um verdadeiro refúgio: inclui banheira generosa, duche ao nível do chão, sanita e lavatório com bancada ampla. O primeiro quarto é espaçoso e versátil, com armários embutidos e orientação a norte, ideal para manter a frescura. A master suite é o destaque do piso, com vista para o jardim, armário embutido e excelente luminosidade. Se deseja viver num ambiente sereno, moderno e sustentável, ou investir numa zona do Algarve em crescimento e valorização constante, Casas Olivento é a oportunidade certa. Aqui, o campo e o mar vivem em perfeita harmonia. Distâncias a pontos de interesse: 2 km - Centro de Alte (comércio local, cafés, serviços) 5 km - Intermarché São Bartolomeu de Messines 12 km - Continente Modelo e Mercado Municipal de Loulé 13 km - Escola Internacional de Vilamoura 15 km - Loulé (serviços públicos, hospital, centro histórico) 25 km - Praia de Quarteira 28 km - Marina de Vilamoura (vida noturna, casino, restaurantes) 30 km - Zoomarine Algarve (entretenimento familiar) 33 km - Forum Algarve (centro comercial, cinemas, lojas premium) 35 km - Albufeira (praias, restaurantes, animação noturna) 40 km - Praia da Falésia (uma das mais belas do país) 42 km - Quinta do Lago & Vale do Lobo (golfe, lifestyle premium) 45 km - Mar Shopping Algarve & IKEA Transportes e acessos: 3 km - Acesso à A2 (Lisboa - Algarve) 8 km - Estação ferroviária de Messines-Alte 35 km - Aeroporto Internacional de Faro 40 km - Acesso à A22 (Via do Infante, ligação a Espanha e ao Barlavento Algarvio)
AMI: 23002
Ref. Externa: CAS_424_C
Id: 1211580
Inicie sessão para guardar este imóvel e aceder à sua lista de favoritos em qualquer dispositivo.
320.000 €
3 Quartos
1 WCs
Área bruta : 209 m²
Esta encantadora casa isolada, térrea e de três quartos, está situada numa zona extremamente tranquila em Casas da Corte, Alte, oferecendo uma vista deslumbrante para o campo. Ao adentrar o imóvel, é recebido por um acolhedor hall de entrada que conduz à espaçosa sala, caracterizada pela presença reconfortante de uma lareira. A cozinha, parcialmente equipada, abre-se para o jardim, proporcionando um ambiente luminoso e arejado. Complementando este espaço, encontra-se uma útil despensa. Os três quartos proporcionam conforto e privacidade, ideal para uma família ou para receber visitas. Uma casa de banho completa este conjunto, oferecendo funcionalidade e estilo. Destacando-se ainda mais, um sótão generoso de 115 m2 oferece um potencial adicional para expandir ou personalizar conforme desejado. As janelas em PVC garantem eficiência energética e conforto térmico ao longo do ano. O amplo lote de 4180 m2 abriga uma variedade de comodidades, incluindo uma garagem, uma cozinha de verão e um tanque. Além disso, diversos anexos, como arrecadações e galinheiros, proporcionam espaço adicional para armazenamento ou atividades específicas. Uma bela barragem completa este cenário pitoresco. Esta é verdadeiramente uma oportunidade única para desfrutar da tranquilidade do campo, sem comprometer o conforto e conveniência. Venha explorar esta propriedade excepcional com a ImmoAlgarve. REF: V-259
AMI: 10129
Ref. Externa: V-259
Id: 1142835
Inicie sessão para guardar este imóvel e aceder à sua lista de favoritos em qualquer dispositivo.
300.000 €
4 Quartos
1 WCs
Área bruta : 213 m²
Moradia de traça algarvia localizada na zona de Monte Ruivo, em Alte, inserida em lote vedado com 1947 m². Situa-se numa aldeia tradicional, com ambiente calmo e vista desafogada sobre o campo e a serra. A casa principal é composta por duas salas (estar e jantar), cozinha, quatro quartos, casa de banho com base de duche, lavandaria e corredor de distribuição. Inclui salamandra e esquentador como apoio ao conforto térmico. Anexado à moradia, com acesso individual, existe uma casa de arrumos ou armazém com potencial de apoio habitacional ou funcional. Destaques: Tipologia T4 com divisões bem distribuídas Duas salas independentes: jantar e estar Cozinha funcional e zona de lavandaria Casa de banho com base de duche Salamandra e esquentador incluídos Anexo com entrada individual e função versátil Cisterna e terreno vedado com potencial agrícola ou de lazer Ambiente exterior: Terreno com 1947 m² e vedação Vista panorâmica sobre o campo e a serra Localização calma em aldeia tradicional Localização estratégica: A cerca de 15 min de Alte e São Bartolomeu de Messines Próxima de cafés, escola primária e pequenos serviços Zona servida por transportes públicos Certificação energética: em curso. Com escala, vista aberta e versatilidade de uso ideal para quem procura viver com autenticidade e espaço no interior do Algarve.
AMI: 21073
Ref. Externa: BRV-924
Id: 1049167
Inicie sessão para guardar este imóvel e aceder à sua lista de favoritos em qualquer dispositivo.
Estes agentes são especialistas nesta zona:
Inicie sessão para ocultar este imóvel das suas pesquisas e manter a sua lista de resultados organizada.
Guardar favoritos
Este imóvel foi guardados nos seus favoritos com sucesso.
Para poder guardar pesquisa deverá ter a sua sessão iniciada.
Caso não tenha uma conta, deverá criar uma.
A sua pesquisa foi guardada com sucesso!
© Copyright 2023 | CASACERTA. All rights reserved
Este site utiliza cookies. Ao navegar no site estará a consentir a sua utilização.
Para mais informações sobre os cookies pode consultar a
política de privacidade.