Voltar
Terreno para Venda em Albufeira e Olhos de Água Foto 1
Terreno para Venda em Albufeira e Olhos de Água Foto 2
Terreno para Venda em Albufeira e Olhos de Água Foto 3
Terreno para Venda em Albufeira e Olhos de Água Foto 4
Terreno para Venda em Albufeira e Olhos de Água Foto 5

Terreno para Venda em Albufeira e Olhos de Água

7.000.000 €

Tipo
Terreno
Negócio
Venda
Área Bruta
9580 m²
Condição
Novo
Certificado Energético
Isento

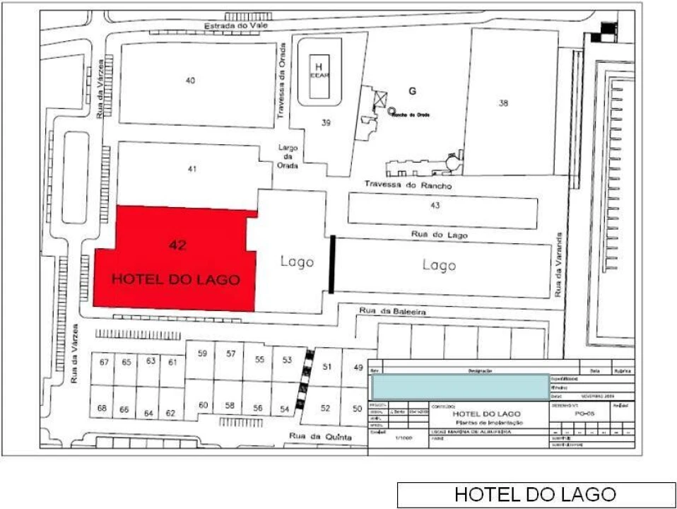
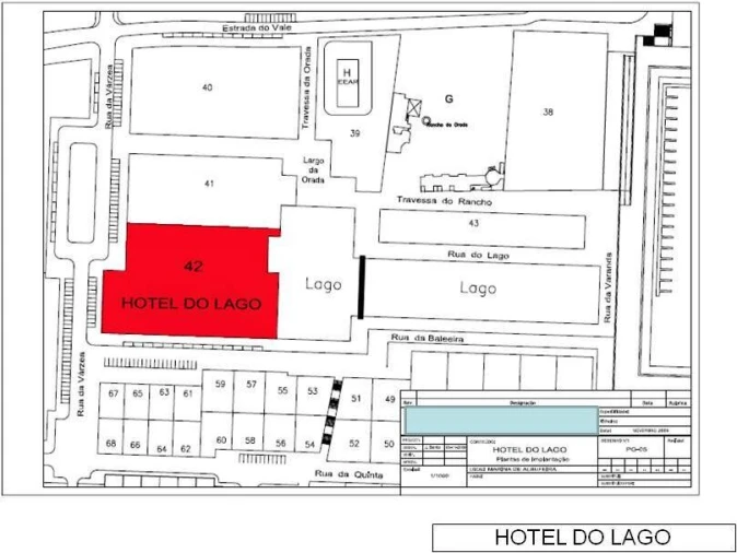
Lote de Terreno para Construção de Hotel, Marina de Albufeira

Lote de terreno com 6 494m², para construção de uma unidade hoteleira para 160 quartos em suite, em 9 580m² de área total de construção distribuídos por 6 pisos acima de cota de soleira.

A localização deste lote de terreno na segunda fase do empreendimento da Marina de Albufeira, em posição frontal ao canal de entra das embarcações, permite ter uma vista fantástica sobre a própria Marina.

Toda esta segunda fase foca sobre elevada em relação á cota da marina em cerca de 6 m.

A proximidade e a facilidade de aceder a todas as praias da zona poente de Albufeira, nomeadamente a praia dos Arrifes ou Sardinha, praia de São Rafael, praia Galé, proximidade com o campo de golfe dos Salgados e de todos os outros em Vilamoura são excelentes atributos de valorização desta localização.

As linhas arquitetónicas apresentadas são meramente ilustrativas, mas o estudo a ser desenvolvido certamente será de qualidade e enquadramento na zona.

Os equipamentos de utilização coletiva, nomeadamente a praça central, jardim romântico a cascata de água e serviços envolventes são também unidades de apoio a todos os turistas que virão a usufruir desta excelente unidade.

Albufeira é uma das zonas com os índices de ocupação turística mais elevados do país, resultado de todas as infraestruturas existentes no Concelho, tais como as excelentes unidades de saúde privada, grandes superfícies comercias, zonas verdes, zonas de entretenimento.

Os baixo índices de construção e de habitantes por hectare são também outros predicados de qualidade de todo o empreendimento da marina de Albufeira.

Localização

Albufeira e Olhos de Água, Albufeira, Faro

Informação do anúncio

ID do anúncio 1729564
Referência Externa NV-LV-1042-(PR-004)
Atualizado em 05/04/2026 08:21:04
NovusMed AMI 4506
Referência do imóvel: NV-LV-1042-(PR-004)
Phone
Chamada para a rede fixa nacional
NOVUSMED MEDIACAO IMOBILIARIA LDA
Phone
Chamada para a rede móvel nacional
NovusMed AMI 4506
Referência do imóvel: NV-LV-1042-(PR-004)
Phone
Chamada para a rede fixa nacional
NOVUSMED MEDIACAO IMOBILIARIA LDA
Phone
Chamada para a rede móvel nacional
1 / 8
Terreno para Venda em Albufeira e Olhos de Água Foto 1
Terreno para Venda em Albufeira e Olhos de Água Foto 2
Terreno para Venda em Albufeira e Olhos de Água Foto 3
Terreno para Venda em Albufeira e Olhos de Água Foto 4
Terreno para Venda em Albufeira e Olhos de Água Foto 5
Terreno para Venda em Albufeira e Olhos de Água Foto 6
Terreno para Venda em Albufeira e Olhos de Água Foto 7
Terreno para Venda em Albufeira e Olhos de Água Foto 8
Clicky