Lista
Comprar
Arrendar
Área de terreno : 4280 m²
Terreno com viabilidade de construção localizado em zona residencial em Pinheiro da Bemposta, concelho de Oliveira de Azeméis. Conta com uma área total de 4280m2 e uma frente de 24m, encontrando-se cerca de 2000m com plantação de eucalipto. Marque a sua visita, venha conhecer esta oportunidade! REALIZAMOS SONHOS!
AMI: 20061
Ref. Externa: CS/041/2024
Id: 1492436
Inicie sessão para guardar este imóvel e aceder à sua lista de favoritos em qualquer dispositivo.
Área de terreno : 230 m²
Excelente lote para construção de moradia, com uma área de 230 m2 em Palmaz - Oliveira de Azeméis Este lote está destinado a construção de uma moradia unifamiliar. Com uma área de implantação de 100 m2, área bruta de construção 175 m2 e área dependente 23 m2. Situa-se numa zona residencial em fase de desenvolvimento, com todas as infraestruturas disponíveis e goza de uma ótima exposição solar. A 10 min. do centro de Oliveira de Azeméis e a 15 min. do centro de Albergaria-a-Velha. Contacte para mais informações.
AMI: 21880
Ref. Externa: 154/25
Id: 1486914
Inicie sessão para guardar este imóvel e aceder à sua lista de favoritos em qualquer dispositivo.
Área de terreno : 13786 m²
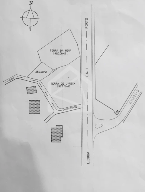
Terrenos vendidos em conjunto Terreno 1 – 7.732 m² | Potencial de Construção | Boa Exposição SolarExcelente oportunidade! Terreno com 7.732 m², com possibilidade de construção. Dispõe de ótima exposição solar durante todo o dia e bons acessos rodoviários. Localizado numa zona tranquila, mas de fácil acesso, é ideal para quem pretende construir a sua casa de sonho ou investir num projeto imobiliário. Terreno 2 – 6.054 m² | Zona Tranquila | Acessos FáceisTerreno com 6.054 m², inserido numa zona calma e com uma excelente exposição solar. Conta com acessos simples e rápidos, tornando-se perfeito para quem valoriza privacidade, sossego e a proximidade com a natureza. ;ID RE/MAX: 122041435-5
AMI: 7772
Ref. Externa: 122041435-5
Id: 1483945
Inicie sessão para guardar este imóvel e aceder à sua lista de favoritos em qualquer dispositivo.
Área de terreno : 7930 m²
Terreno para venda - Terrenocom 7930m2 - O terreno referido, sob o ponto de vista da topografia, desenvolve-se em declive pouco acentuado e com boa exposição solar. Propõe-se construçao de 9 moradias: -> Edificação em banda, ao longo da frente do terreno, com cércea de (r/c + andar) e uma área de implantação de aproximadamente: 950,00m2. -> Área de implantação de: 950,00m2 -> Área de construção -> Ac = 1.900,00m2 - (r/c + andar) - Terreno com uma frente de 68 m. - Localização: - Proximidade das escolas, Supermercados. - Acesso rápido a Nacional 1 - 7km de Oliveira de Azeméis - Proximidade dos transportes Rodoviários e ferroviários. - Zona tranquila Este terreno permite a construção para moradiasunifamiliares em uma localização com acesso facilitado a diversos serviços ecomércios. A sua proximidade com supermercados, comércio geral e zonasverdes tornam este terreno uma opção perfeita para quem deseja investir ouconstruir em uma área com grande potencial de valorização. Se procura um terreno espaçoso e bem localizado para o seuprojeto de construção/ empreendimento, esta é uma excelente oportunidade! Para mais informações ou para agendar uma visita, entre emcontacto ainda hoje!!! ;ID RE/MAX: 122041433-13
AMI: 7772
Ref. Externa: 122041433-13
Id: 1483937
Inicie sessão para guardar este imóvel e aceder à sua lista de favoritos em qualquer dispositivo.
Área de terreno : 13200 m²
Terreno para venda: - Terrenocom 13200m2 - O terreno referido, sob o ponto de vista da topografia, desenvolve-se em declive pouco acentuado e com boa exposição solar. - Planeado para Edificação em banda, ao longo dafrente do terreno, com cércea de (r/c + andar) e uma área de implantação deaproximadamente: -> Área de implantação de: 1.700,00m2 -> Área deconstrução -> Ac = 3.400,00m2 – (r/c + andar) - Terreno com uma frente de 151m. - Localização: - Proximidade das escolas, Supermercados. - Acesso rápido a Nacional 1 - 7km de Oliveira de Azeméis - Proximidade dos transportes Rodoviários e ferroviários. - Zona tranquila Este terreno permite a construção para 17 moradias unifamiliares em uma localização com acesso facilitado a diversos serviços ecomércios. A sua proximidade com supermercados, comércio geral e zonasverdes tornam este terreno uma opção perfeita para quem deseja investir ouconstruir em uma área com grande potencial de valorização. Se procura um terreno espaçoso e bem localizado para o seuprojeto de construção/ empreendimento, esta é uma excelente oportunidade! Para mais informações ou para agendar uma visita, entre emcontacto ainda hoje!!! ;ID RE/MAX: 122041433-12
AMI: 7772
Ref. Externa: 122041433-12
Id: 1483936
Inicie sessão para guardar este imóvel e aceder à sua lista de favoritos em qualquer dispositivo.
Área de terreno : 4440 m²
Terreno com 4440 m², próximo da N1, em Pinheiro da Bemposta, concelho de Oliveira de Azeméis. Tem uma excelente localização e alto potencial de construção Possui uma localização estratégica e boa acessibilidade. Situado junto da Estrada Nacional 1, este terreno com 4440 m², destaca-se pela sua proximidade a Oliveira de Azeméis. Com acesso rápido a todos os serviços essenciais, comércio e infraestruturas, é a escolha ideal para quem procura um espaço versátil e bem localizado. Principais vantagens:- Fáceis acessos às principais vias da região;- Localiza-se a poucos minutos de Oliveira de Azeméis, Estarreja e Albergaria-a-Velha;- Zona servida por comércio, serviços e transportes públicos; Perfeito para quem valoriza conveniência, acessibilidade e qualidade de vida! Uma oportunidade única para quem procura o sossego do campo aliado á proximidade de várias cidades! Entre em contacto para mais informações! ;ID RE/MAX: 122041433-11
AMI: 7772
Ref. Externa: 122041433-11
Id: 1483935
Inicie sessão para guardar este imóvel e aceder à sua lista de favoritos em qualquer dispositivo.
Área de terreno : 7000 m²
Em Palmaz, quintinha na margem do Rio Caima, usufruindo de uma vista soberba sobre o mesmo! Com cerca de 7000m2 a 10 minutos da saída da A1 em Estarreja. Local ideal para descansar, fazer convívios com família e amigos ou até mesmo para turismo rural Este lugar já tem: - Electricidade - Telheiro em pedra de xisto com cozinha rústica - Piscina - Mini campo de futebol com relvado sintético de 10x20m - Churrasqueira e forno a lenha - 2 Espigueiros - Lago todo feito em pedra com água - Fonte de agua - Muros e calçada em granito Propriedade única para quem procura tranquilidade em plena natureza! O Caima é um rio português que nasce na Serra da Freita, na freguesia de Albergaria da Serra, a uma altitude de cerca de mil metros. Pouco depois da sua nascente, este forma uma queda de água com mais de sessenta metros de altura, que dá pelo nome de Frecha da Mizarela. No seu percurso, passa por Vale de Cambra, atravessa as freguesias de Oliveira de Azeméis e Albergaria-a-Velha, indo desaguar na margem direita do Vouga, junto da povoação da Sernada do Vouga.
AMI: 22377
Ref. Externa: HT_50205
Id: 1465488
Inicie sessão para guardar este imóvel e aceder à sua lista de favoritos em qualquer dispositivo.
Área de terreno : 4844 m²
| Novidade No Mercado | Terreno Plano com 4.940m2 para Várias Construções! Este excelente terreno praticamente plano, localizado na Rua José Manuel da Costa Almeida, na freguesia de Travanca, concelho de Oliveira de Azeméis oferece uma área generosa e características ideais para edificação, este lote permite vários tipos de construção habitacional. A sua versatilidade oferece múltiplas possibilidades, quer para uso próprio, quer para investimento com retorno atrativo. Inserido numa zona residencial tranquila, com moradias recentes e ambiente seguro, o terreno encontra-se próximo de comércio, serviços, escolas e a poucos minutos do centro de Oliveira de Azeméis. Dispõe ainda de bons acessos às principais vias, permitindo rápida ligação a cidades vizinhas e à A1. A configuração plana e a excelente exposição solar potenciam o aproveitamento do espaço e ajudam a reduzir custos de construção, tornando este lote uma oportunidade rara para concretizar projetos com elevado valor de mercado. Destaques do imóvel: ▪️Área total: 4.940 m² ▪️Terreno plano e de fácil aproveitamento ▪️Potencial para vários tipos de construção habitacional ▪️Localização procurada, calma e segura ▪️Proximidade a serviços, comércio e escolas ▪️Bons acessos e excelente exposição solar Seja para construir a casa dos seus sonhos ou desenvolver um projeto imobiliário de qualidade, este terreno oferece o espaço e a localização ideais. Visite e confirme o seu enorme potencial!
AMI: 21331
Ref. Externa: KWPT-019969
Id: 1425961
Inicie sessão para guardar este imóvel e aceder à sua lista de favoritos em qualquer dispositivo.
Área de terreno : 3570 m²
Terreno com potencial em Pinheiro da Bemposta, Oliveira de Azeméis. Apresentamos-lhe um terreno com 3.570 m², estrategicamente localizado junto à Estrada Nacional, garantindo excelente visibilidade e acessibilidade. Com três frentes, este lote oferece uma grande versatilidade de aproveitamento, ideal tanto para construção como para fins agrícolas. Atualmente, o terreno apresenta cultura de sequeiro e conta com sete oliveiras, que lhe conferem um toque tradicional e autêntico. Uma oportunidade perfeita para quem procura um espaço com boas acessibilidades, exposição solar e múltiplas possibilidades de investimento em Oliveira de Azeméis. Somos Intermediários de Crédito, autorizados pelo Banco de Portugal, tratamos de todo o processo de financiamento bancário.
AMI: 9966
Ref. Externa: 8022
Id: 1411840
Inicie sessão para guardar este imóvel e aceder à sua lista de favoritos em qualquer dispositivo.
Área de terreno : 13765 m²
Terreno de Grande Dimensão em Pinheiro da Bemposta, Oliveira de Azeméis. Apresentamos-lhe um terreno com 13.765 m², situado junto ao campo de futebol do Pinheirense, numa zona privilegiada e de fácil acesso. Este lote destaca-se pela sua excelente localização, amplas dimensões e bons acessos rodoviários, tornando-o ideal para projetos agrícolas, industriais ou de construção, conforme o seu objetivo de investimento. Com um enquadramento tranquilo, mas próximo de vias principais e do centro da freguesia, este é o espaço perfeito para quem procura potencial, localização e versatilidade num só terreno. Uma oportunidade rara em Pinheiro da Bemposta aproveite o espaço e transforme-o no seu próximo projeto de sucesso. Somos Intermediários de Crédito, autorizados pelo Banco de Portugal, tratamos de todo o processo de financiamento bancário.
AMI: 9966
Ref. Externa: 8023
Id: 1411839
Inicie sessão para guardar este imóvel e aceder à sua lista de favoritos em qualquer dispositivo.
Área de terreno : 230 m²
Terreno Urbano para venda em Palmaz, Oliveira de Azeméis. Apresentamos-lhe um terreno urbano destinado à construção de moradia unifamiliar, situado em Palmaz, numa zona residencial em crescimento e desenvolvimento contínuo. Se procura o local ideal para projetar a sua casa de sonho, este terreno oferece-lhe a oportunidade perfeita para viver com tranquilidade, numa envolvente residencial moderna e com potencial de valorização futura. O espaço certo para começar um novo capítulo da sua vida, onde poderá criar uma moradia à sua medida. Venha conhecer todos os pormenores. Somos Intermediários de Crédito, autorizados pelo Banco de Portugal, tratamos de todo o processo de financiamento bancário.
AMI: 9966
Ref. Externa: 8018
Id: 1411837
Inicie sessão para guardar este imóvel e aceder à sua lista de favoritos em qualquer dispositivo.
Área de terreno : 1095 m²
Moradia para reconstruir em Palmaz. - Área total terreno 1.095 m2; - Área de implantação 210 m2. Com bom acesso, ótima exposição solar situado em local calmo.
AMI: 13209
Ref. Externa: 20230300908
Id: 1356454
Inicie sessão para guardar este imóvel e aceder à sua lista de favoritos em qualquer dispositivo.
Área de terreno : 665 m²
Terreno Urbano à Venda em Alviães - Palmaz, Oliveira de Azeméis Área Total: 665 m² | Vistas Magníficas para a Serra Este terreno urbano está localizado na aprazível zona de Alviães - Palmaz, no concelho de Oliveira de Azeméis, inserido num loteamento em zona alta com vistas deslumbrantes para a serra. A sua localização proporciona a tranquilidade do campo, ao mesmo tempo que mantém a proximidade da cidade, oferecendo o equilíbrio perfeito para quem procura qualidade de vida. Com uma área de 665 m², este terreno é ideal para a construção da sua moradia dos sonhos. Já dispõe de infraestruturas essenciais, como puxada de água e gás, facilitando o processo de construção. Principais Características: Terreno urbano com 665 m² Localização alta com vistas para a serra Zona calma e tranquila, mas a poucos minutos da cidade Excelente para construção de habitação Já possui puxada de água e gás Ótimo investimento para quem deseja construir a sua casa ou realizar um projeto Se está à procura de um local perfeito para construir a sua moradia, este terreno é a opção ideal. Aproveite esta oportunidade única! Para mais informações ou para agendar uma visita, entre em contacto comigo: João Pereira – 919 396 975
AMI: 17906
Ref. Externa: 10TC3515
Id: 1342147
Inicie sessão para guardar este imóvel e aceder à sua lista de favoritos em qualquer dispositivo.
Área de terreno : 1755 m²
Antes de avançar para as características do imóvel, permita-nos um breve esclarecimento: a localização que vê do imóvel é, na verdade, uma morada próxima do imóvel. Por uma questão de privacidade de dados (RGPD) não podemos divulgar a morada exata do imóvel. Gratos pela compreensão.
AMI: 17906
Ref. Externa: 10TC3516
Id: 1342133
Inicie sessão para guardar este imóvel e aceder à sua lista de favoritos em qualquer dispositivo.
Área de terreno : 880 m²
TERRENO URBANO COM 880M2, PARA CONSTRUÇÃO DA SUA MORADIA DE SONHO! Excelente terreno plano, com alguns pinheiros onde pode colocar uma casa pré-fabricada ou fazer uma área de construção até 422 com magníficas vistas! CONTACTE-ME!;ID RE/MAX: 122041021-1056
AMI: 7772
Ref. Externa: 122041021-1056
Id: 1311270
Inicie sessão para guardar este imóvel e aceder à sua lista de favoritos em qualquer dispositivo.
Área de terreno : 3600 m²
Apresentamos um excelente terreno rústico, com 3.600 m² de área total, situado numa zona em expansão, na localidade de Curval – Pinheiro da Bemposta, no concelho de Oliveira de Azeméis. Com uma frente de aproximadamente 77 metros, este terreno destaca-se pela sua excelente exposição solar, acessos facilitados e capacidade construtiva, conferida pelo seu enquadramento em solo urbano segundo o PDM local. Conta com infraestruturas de água, eletricidade e saneamento nas proximidades. A sua dimensão e configuração tornam-no ideal para diversos tipos de projetos, sejam moradias unifamiliares, loteamento habitacional ou projetos comerciais e industriais ligeiros, conforme viabilidade junto da Câmara Municipal. Uma oportunidade única para investidores, construtores ou para quem procura um terreno com potencial para projeto próprio. Eu ajudo a decidir!
AMI: 14393
Ref. Externa: 101.1187
Id: 1208284
Inicie sessão para guardar este imóvel e aceder à sua lista de favoritos em qualquer dispositivo.
Área de terreno : 900 m²
Terreno Rustico com 900m2, com possibilidade de construção. Com vistas desafogadas sobre o Concelho de Oliveira de Azeméis, é possível ver o mar no horizonte. Com acesso de estrada a Nascente, permite a construção de uma moradia de 4 frentes, com uma exposição solar invejável, e com vistas fantásticas. Muito próximo da EN1, a apenas 5 min do centro de Oliveira de Azeméis e a 10 min do acesso a A1. Marque já a sua visita! Na FLIMO, sabemos que comprar ou vender casa é uma das maiores e mais ponderadas decisões na vida de uma pessoa, e o nosso principal objetivo é ajudar a que o processo de compra e venda de um imóvel seja simples, transparente e com a confiança indispensável numa decisão tão importante.
AMI: 21143
Ref. Externa: T-061
Id: 1169458
Inicie sessão para guardar este imóvel e aceder à sua lista de favoritos em qualquer dispositivo.
Área de terreno : 1854 m²
Este terreno oferece duas oportunidades numa: - Construir e Investir para o futuro. Ligue e Saiba Tudo! Com 2 frentes de 35m cada uma, este terreno está inserido em zona de construção habitacional de acordo com planeamento da Câmara Municipal de Oliveira de Azeméis, informação consultada à data da publicação deste anúncio. São 1854m2 de novas possibilidades e onde o melhor é a dupla oportunidade de construção e investimento. Sim, existem possibilidades destas! Situado numa zona tranquila a menos de 1km de restaurantes e posto dos correios e apenas a 1km de escolas e de hipermercados e do acesso à N1 e a 10 minutos do centro de Oliveira de Azeméis e a 10 minutos do acesso à Auto-Estrada. Ligue e Saiba Tudo! Na MUDDA trataremos de todo o seu processo desde o agendamento da visita até à entrega das suas chaves, garantindo que está por dentro de todo o processo, sem dúvidas. ✅Quem é a MUDDA? A rede imobiliária MUDDA nasce do desejo do Grupo STARS continuar a evoluir no mercado imobiliário. O grupo encontra-se presente no mercado com várias marcas e com crescimento significativo desde a sua criação. A rede imobiliária MUDDA com 7 agência distribuídas pelo país, tem para lhe oferecer um serviço customizado e inovador no momento de comprar, arrendar ou vender casa, afastando-se estrategicamente da despersonalização e massificação, aproximando-se da ideologia de que cada cliente é uma pessoa com visões e necessidades diferenciadas. Com um espírito de melhoria continua, oferecermos a melhor formação imobiliária para prestarmos um serviço capaz de responder a qualquer desafio! Formamos consultores imobiliários de excelência. Na MUDDA trabalhamos em dedicação a quem mais importa, toda a comunidade que nos envolve. Os consultores da MUDDA trabalham de forma personalizada, sendo cada um especialista do mercado onde atua. Este é o momento, MUDDA a tua vida, comece pela sua casa! ✅Porquê a MUDDA? Na Mudda, transformamos a experiência imobiliária num processo simples, seguro e acompanhado em todas as fases. Somos uma das poucas imobiliárias que oferece suporte integral tanto a proprietários como a compradores, cuidando de toda a documentação necessária à compra e venda de imóveis. O nosso compromisso vai para além da mera intermediação: acompanhamos os nossos clientes desde o primeiro contacto até à conclusão do negócio, proporcionando apoio especializado na obtenção de crédito e na interpretação da legislação imobiliária em vigor. Desta forma, garantimos que cada transacção seja efetuada com total transparência, conformidade e segurança. Na Mudda, sabemos que cada detalhe faz a diferença. Por isso, a nossa equipa trabalha de forma personalizada para responder às suas necessidades, assegurando que o seu investimento seja tratado com o profissionalismo e a atenção que merece. ✅Visite-nos em www.mudda.me e descubra como podemos facilitar a sua jornada no mercado imobiliário.
AMI: 19923
Ref. Externa: MUDDA.2569.19923
Id: 1126754
Inicie sessão para guardar este imóvel e aceder à sua lista de favoritos em qualquer dispositivo.
Área de terreno : 230 m²
Apresentamos este lote urbano exclusivo (Lote 19), inserido numa zona residencial em franca expansão, na freguesia de Palmaz, pertencente à União de Freguesias de Pinheiro da Bemposta, Travanca e Palmaz, no concelho de Oliveira de Azeméis.Com excelentes acessos, este lote é ideal para a construção de uma moradia unifamiliar, oferecendo a combinação perfeita entre tranquilidade, qualidade de vida e proximidade a serviços e vias de comunicação.A envolvente caracteriza-se por moradias modernas, infraestruturas em desenvolvimento e um ambiente familiar e seguro, tornando-o numa excelente oportunidade para viver ou investir.A SUA CASA MORA AQUI.Predimed Imobiliária, Mediação Imobiliária, Lda.Avenida Brasil 43, 12º Andar, 1700-062 LisboaLicença AMI nº 22503Pessoa Coletiva nº 517 239 345Seguro Responsabilidade Civil: Nº de Apólice RC65379424 Fidelidade Características: Banco;Espaços Verdes
AMI: 13558
Ref. Externa: 051290
Id: 1118753
Inicie sessão para guardar este imóvel e aceder à sua lista de favoritos em qualquer dispositivo.
Área de terreno : 230 m²
LOTE 22 - TERRENO PARA CONSTRUÇÃO Área total do terreno: 229,5000 m² Área de implantação do edifício: 100,0000 m² Área bruta de construção: 174,3000 m² Área bruta dependente: 22,9000 m²
AMI: 6755
Ref. Externa: 67553154 - LOTE 22
Id: 1049444
Inicie sessão para guardar este imóvel e aceder à sua lista de favoritos em qualquer dispositivo.
Estes agentes são especialistas nesta zona:
Inicie sessão para ocultar este imóvel das suas pesquisas e manter a sua lista de resultados organizada.
Guardar favoritos
Este imóvel foi guardados nos seus favoritos com sucesso.
Para poder guardar pesquisa deverá ter a sua sessão iniciada.
Caso não tenha uma conta, deverá criar uma.
A sua pesquisa foi guardada com sucesso!
© Copyright 2023 | CASACERTA. All rights reserved
Este site utiliza cookies. Ao navegar no site estará a consentir a sua utilização.
Para mais informações sobre os cookies pode consultar a
política de privacidade.