Terreno para Venda em Poceirão e Marateca
225.000 €
Tipo
Terreno
Negócio
Venda
Área Bruta
1061 m²
Área do Terreno
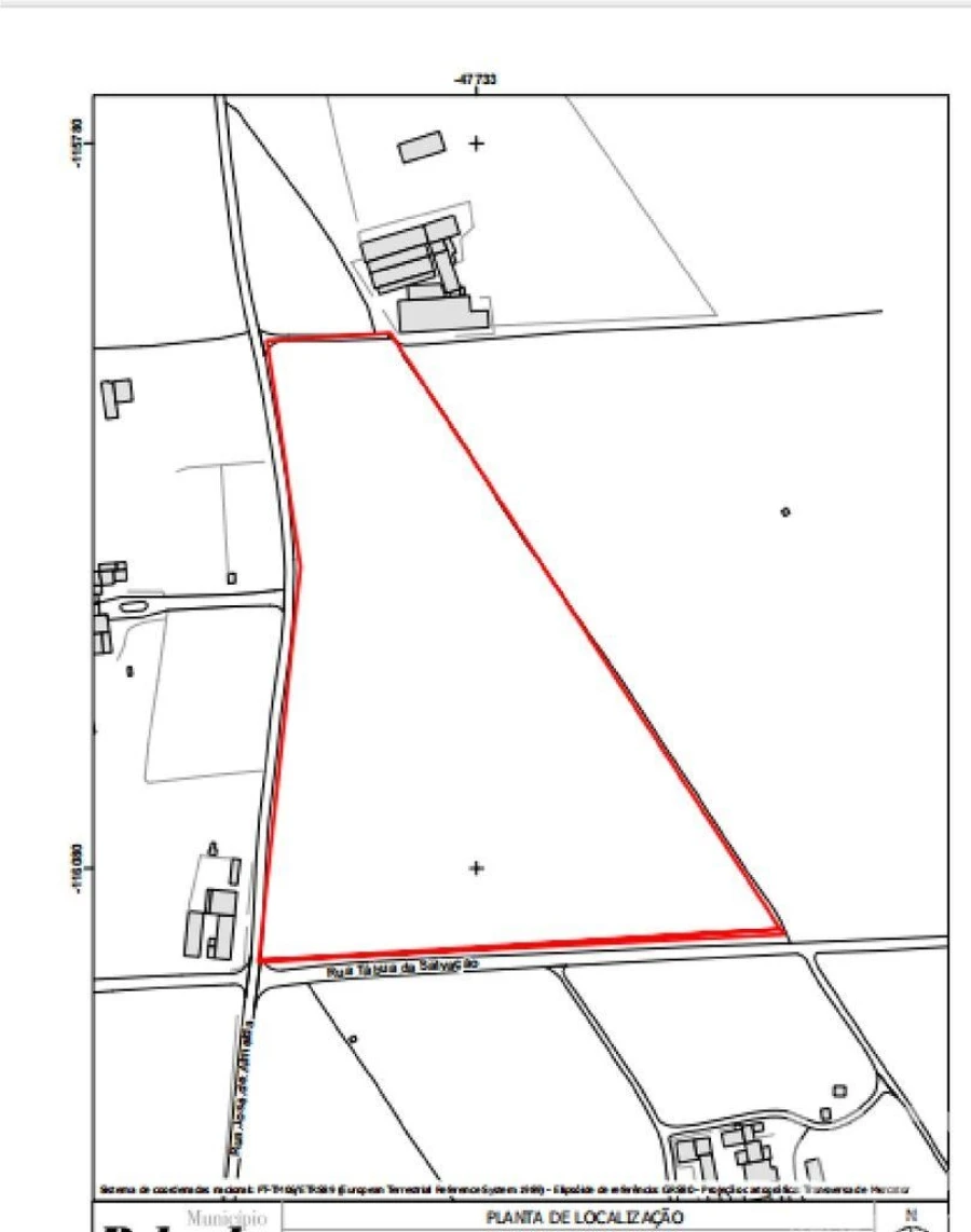
32500 m²
Terreno em Poceirão e Marateca de 1061,00 m²
Terreno com PIP em Aprovação – 32.500m² | Mata de Pinheiros Mansos & Vinha | Fernando Pó – Palmela
Descubra esta oportunidade única de investimento num terreno de 32.500m², situado junto a estrada alcatroada próximo da localidade de Fernando Pó, Palmela, conhecida pelas suas vinhas de excelência e pela tranquilidade da vida no campo.
O lote distingue-se pela sua envolvente natural, onde uma mata de pinheiros mansos e uma vinha já estabelecida criam um cenário de charme mediterrânico, perfeito para quem procura qualidade de vida, autenticidade e contacto direto com a natureza.
Com Pedido de Informação Prévia (PIP) em fase de aprovação na Câmara Municipal de Palmela, este terreno permite desenvolver um projeto residencial único, adaptado a um estilo de vida onde a calma e a proximidade da natureza são palavras chave.
Características do Projeto Possível:
Moradia bifamiliar com área máxima de 400m²
Anexos com múltiplos usos (arrumos, comércio ou serviços), até 361m²
Piscinas até 100m²
Telheiros até 200m²
Muro de vedação com 461m de comprimento, para total privacidade e segurança
Localização Estratégica:
Lisboa: a menos de 50 minutos
Aeroporto de Lisboa: cerca de 45 minutos
Futuro Aeroporto do Montijo: apenas 25 minutos
Acesso rápido às principais vias (A2 e A12), com ligação facilitada a Lisboa, Setúbal e Algarve
Um cenário onde a serenidade do campo, a tradição vitivinícola e o charme da Arrábida se encontram a poucos minutos das praias da Comporta, Troia e Serra da Arrábida.
Ideal para:
Famílias que procuram uma pequena quinta para residência ou férias exclusiva a menos de 1h de Lisboa
Investidores que pretendem criar um projeto habitacional com forte potencial de valorização
Apoio Completo no Projeto:
Disponibilizamos acompanhamento integral no desenvolvimento do projeto de arquitetura e especialidades, bem como em todo o processo de licenciamento junto da Câmara Municipal de Palmela.
Existe ainda a possibilidade de um projeto chave na mão com a construção também.
Peça já o seu orçamento e transforme esta propriedade num refúgio exclusivo, rodeado de vinhas e pinheiros mansos, a menos de 1h de Lisboa.
#ref: 149336
Descubra esta oportunidade única de investimento num terreno de 32.500m², situado junto a estrada alcatroada próximo da localidade de Fernando Pó, Palmela, conhecida pelas suas vinhas de excelência e pela tranquilidade da vida no campo.
O lote distingue-se pela sua envolvente natural, onde uma mata de pinheiros mansos e uma vinha já estabelecida criam um cenário de charme mediterrânico, perfeito para quem procura qualidade de vida, autenticidade e contacto direto com a natureza.
Com Pedido de Informação Prévia (PIP) em fase de aprovação na Câmara Municipal de Palmela, este terreno permite desenvolver um projeto residencial único, adaptado a um estilo de vida onde a calma e a proximidade da natureza são palavras chave.
Características do Projeto Possível:
Moradia bifamiliar com área máxima de 400m²
Anexos com múltiplos usos (arrumos, comércio ou serviços), até 361m²
Piscinas até 100m²
Telheiros até 200m²
Muro de vedação com 461m de comprimento, para total privacidade e segurança
Localização Estratégica:
Lisboa: a menos de 50 minutos
Aeroporto de Lisboa: cerca de 45 minutos
Futuro Aeroporto do Montijo: apenas 25 minutos
Acesso rápido às principais vias (A2 e A12), com ligação facilitada a Lisboa, Setúbal e Algarve
Um cenário onde a serenidade do campo, a tradição vitivinícola e o charme da Arrábida se encontram a poucos minutos das praias da Comporta, Troia e Serra da Arrábida.
Ideal para:
Famílias que procuram uma pequena quinta para residência ou férias exclusiva a menos de 1h de Lisboa
Investidores que pretendem criar um projeto habitacional com forte potencial de valorização
Apoio Completo no Projeto:
Disponibilizamos acompanhamento integral no desenvolvimento do projeto de arquitetura e especialidades, bem como em todo o processo de licenciamento junto da Câmara Municipal de Palmela.
Existe ainda a possibilidade de um projeto chave na mão com a construção também.
Peça já o seu orçamento e transforme esta propriedade num refúgio exclusivo, rodeado de vinhas e pinheiros mansos, a menos de 1h de Lisboa.
#ref: 149336
Localização
Poceirão e Marateca, Palmela, Setúbal
Informação do anúncio
ID do anúncio
1381212
Referência Externa
149336
Atualizado em
26/04/2026 23:19:41
Terreno para Venda em Poceirão e Marateca
Vídeo